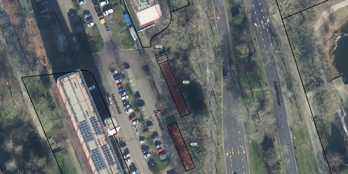
Perceel: EDE01-F-3083
KadastraleKaart.com kan meer dan je denktOntdek meer ›
Filter op bestemming 50+ datasets Eigendomsdata in één klik Percelen CRM
180 m2 - 77 m
Eigenaar opvragen
EDE01-F-3083 (Ede)
- 6715 CB
f2cKS 3 qlCSGR jLf4rcxszR5oUpgrade naar KadastraleKaart Pro
Bekijk op Street View
Download DWG/DXF/Excel
AYA98SDemQYSX 0kSIUpgrade naar KadastraleKaart Pro
JR ik4ZUxCA0Rxyh13JPLjfUpgrade naar KadastraleKaart Pro
5aC1wF JgvnbTwUpgrade naar KadastraleKaart Pro
BiwSuOZrNGAdRxUpgrade naar KadastraleKaart Pro
22rdXJ 92EnJLRUpgrade naar KadastraleKaart Pro
xTijzI8j6O1jb1EvF8xq Upgrade naar KadastraleKaart Pro
MQj1Q 5VEMUh6yUpgrade naar KadastraleKaart Pro
3M faf1V1LF6RctUpgrade naar KadastraleKaart Pro
GIYpSbu HNHpNUpgrade naar KadastraleKaart Pro
Ruix j9nYtxmgd2uUpgrade naar KadastraleKaart Pro
15/09/2008

Percelen
Gebruik de zoekbalk of klik op een perceel om informatie over het perceel te bekijken.