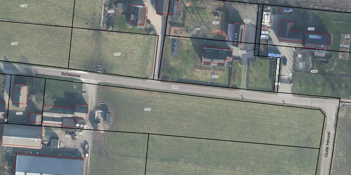
Perceel: EDE01-G-2493

Adres bij perceel

Geen adressen bij dit perceel

Perceeloppervlakte & perceelomtrek

2.268 m2 - 639 m

Eigenaar van het perceel

Eigenaar opvragen

Kadastrale aanduiding

EDE01-G-2493 (Ede)

Postcode in perceel

    Geen postcode aanwezig

Type eigenaar

79 yG WWQPX2MvdWh P0EksYN Upgrade naar KadastraleKaart Pro

Google Street View

Bekijk op Street View

Download

Download DWG/DXF/Excel

Gerelateerde percelen

A 7xhfnUpgrade naar KadastraleKaart Pro

Bebouwd/onbebouwd/water/groen

IQhH39X8Upgrade naar KadastraleKaart Pro
Administratieve eenheden
s 2bwDA YPxkO9yQV0 Upgrade naar KadastraleKaart Pro

Appartementsrechten

2jHc 6rHkI7 VO6g Upgrade naar KadastraleKaart Pro

Vergunningverlenende instanties

5JUF qA5 tUpgrade naar KadastraleKaart Pro

Bedekking (BGT)

1B6vltVi S3INLMUpgrade naar KadastraleKaart Pro

Publiekrechtelijke beperkingen

QVW8shGkVqN5Upgrade naar KadastraleKaart Pro

Grensnauwkeurigheid

HtHEazDTUpgrade naar KadastraleKaart Pro

Coördinaten hoekpunten perceel

mfCRUTAdjo Upgrade naar KadastraleKaart Pro

Hoogteligging

ql9GPwFxU6J5xih 8GFUpgrade naar KadastraleKaart Pro

Laatst gewijzigd

20/01/2026

Kadastrale kaart met maatvoering 59,95
Kadastrale kaart pakket 28,95

Percelen

Gebruik de zoekbalk of klik op een perceel om informatie over het perceel te bekijken.
Locatie
Meten
Lagen
Download