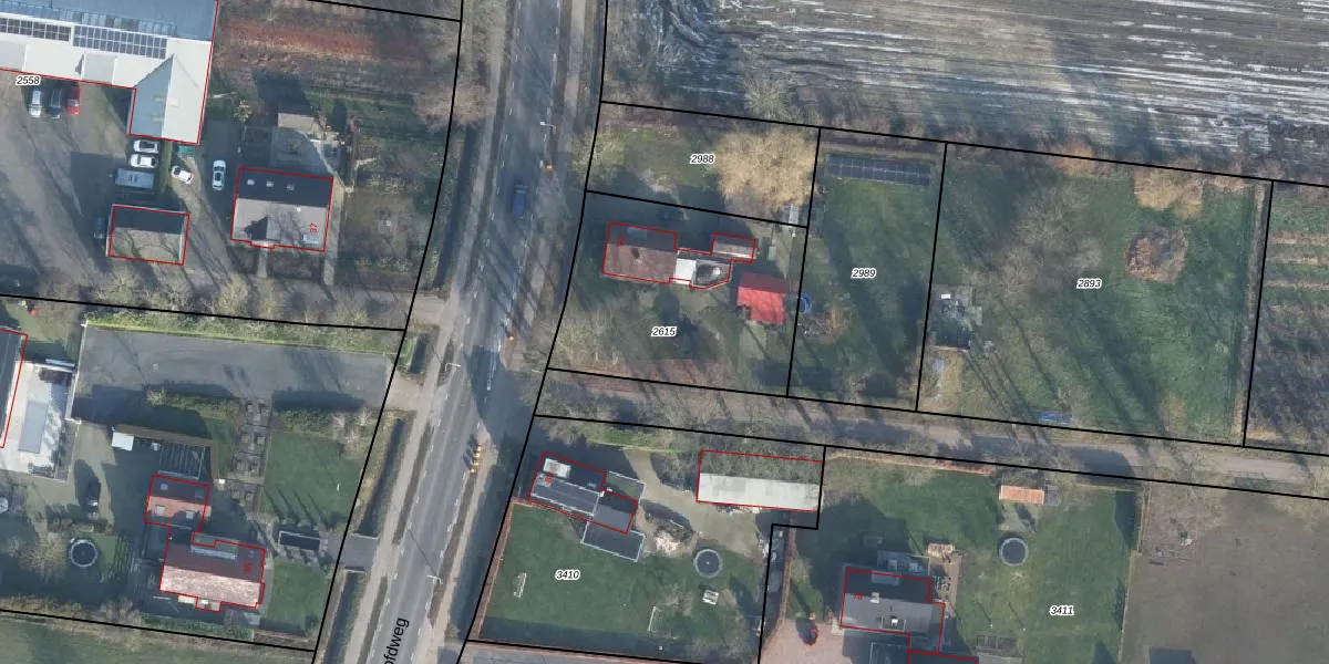
Perceel: EDE01-G-2615
KadastraleKaart.com kan meer dan je denktOntdek meer ›
Filter op bestemming 50+ datasets Eigendomsdata in één klik Percelen CRM
900 m2 - 123 m
Eigenaar opvragen
EDE01-G-2615 (Ede)
- 6744 WN
0EnXvs6 tAcPhH2BomribtDsUpgrade naar KadastraleKaart Pro
Verkoopprijs opvragen
Bekijk op Street View
Download DWG/DXF/Excel
i0i0uSoOnS60t3dJxSaJFUpgrade naar KadastraleKaart Pro
4cgFDeVgBp4Upgrade naar KadastraleKaart Pro
jN gLwCU GaUpgrade naar KadastraleKaart Pro
iqUoPtzlmOKv0Z8 Y yfLUpgrade naar KadastraleKaart Pro
XHpzv2QTur t8lWkpUpgrade naar KadastraleKaart Pro
QGa3LWjmCtLPo T XmI ZUpgrade naar KadastraleKaart Pro
eZUZxncw1nUpgrade naar KadastraleKaart Pro
RMSt xv2FbvbfpyVekf8hUpgrade naar KadastraleKaart Pro
6iOHj7BXHlTfj5Upgrade naar KadastraleKaart Pro
X IC6z iehL2Gqoq2fUpgrade naar KadastraleKaart Pro
11/01/1999

Percelen
Gebruik de zoekbalk of klik op een perceel om informatie over het perceel te bekijken.