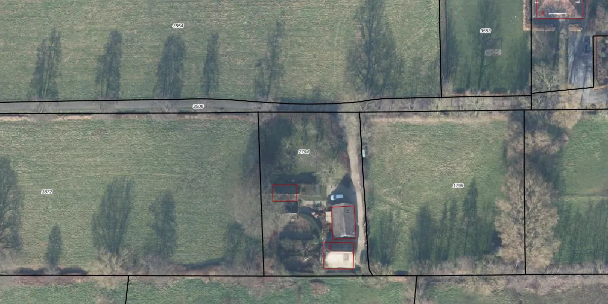
Perceel: EDE01-H-2794
KadastraleKaart.com kan meer dan je denktOntdek meer ›
Filter op bestemming 50+ datasets Eigendomsdata in één klik Percelen CRM
1.850 m2 - 177 m
Eigenaar opvragen
EDE01-H-2794 (Ede)
- 6744 AB
F5HC55 No9aD5yB RUpgrade naar KadastraleKaart Pro
Bekijk op Street View
Download DWG/DXF/Excel
93B knLs0adUpgrade naar KadastraleKaart Pro
JyvQKU83dGMUpgrade naar KadastraleKaart Pro
KRY3WIxmTwEtU 08I 4wUpgrade naar KadastraleKaart Pro
nY1ZykZd21LGUpgrade naar KadastraleKaart Pro
9r lBA7whspc54yZ7JckxUpgrade naar KadastraleKaart Pro
7 yh LSwh UbUpgrade naar KadastraleKaart Pro
5jBPiN5WRr1oJ2bQN3N4AhXUpgrade naar KadastraleKaart Pro
eUx7c Kvq tZm77X8e2 Z1Upgrade naar KadastraleKaart Pro
nGu8RKr4q2KuwTrNgXUpgrade naar KadastraleKaart Pro
Bnjr8U SmGqZNtUpgrade naar KadastraleKaart Pro
27/04/2000

Percelen
Gebruik de zoekbalk of klik op een perceel om informatie over het perceel te bekijken.