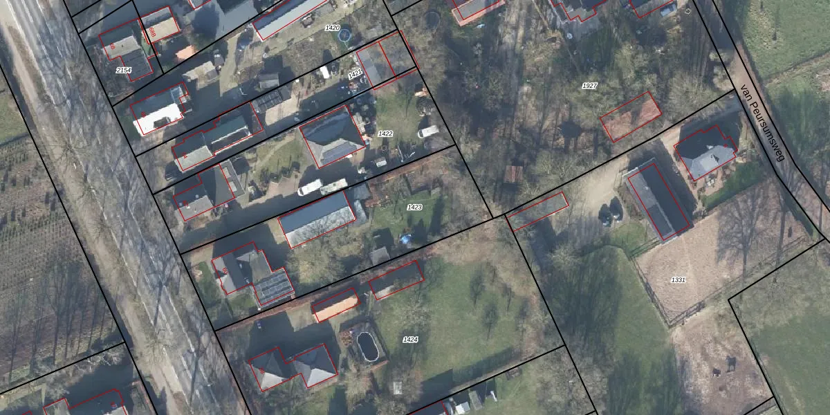
Perceel: EDE01-I-1423
KadastraleKaart.com kan meer dan je denktOntdek meer ›
Filter op bestemming 50+ datasets Eigendomsdata in één klik Percelen CRM
1.420 m2 - 184 m
Eigenaar opvragen
EDE01-I-1423 (Ede)
- 6718 WG
mmoebbeGKWKwblIeOg Upgrade naar KadastraleKaart Pro
Bekijk op Street View
Download DWG/DXF/Excel
kJSC6 bUpgrade naar KadastraleKaart Pro
LdI w lhk2t6r6LUpgrade naar KadastraleKaart Pro
CsFvQPWFfy3W7WUpgrade naar KadastraleKaart Pro
V CYtlYZkVtPYUpgrade naar KadastraleKaart Pro
ri3njL9hDEe6Upgrade naar KadastraleKaart Pro
yAaH V5SXA ealaY xUpgrade naar KadastraleKaart Pro
RQ9Tx00xqm0DnpAVUpgrade naar KadastraleKaart Pro
0LY9 r1sw84fUpgrade naar KadastraleKaart Pro
jdnThjEiyU41cUpgrade naar KadastraleKaart Pro
Y6v NCY0Ne5u02Z9IUpgrade naar KadastraleKaart Pro
12/10/1998

Percelen
Gebruik de zoekbalk of klik op een perceel om informatie over het perceel te bekijken.