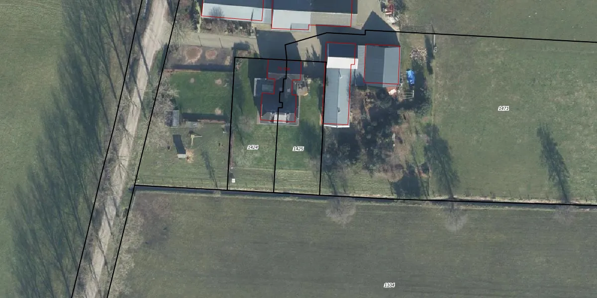
Perceel: EDE01-M-1425
KadastraleKaart.com kan meer dan je denktOntdek meer ›
Filter op bestemming 50+ datasets Eigendomsdata in één klik Percelen CRM
660 m2 - 122 m
Eigenaar opvragen
EDE01-M-1425 (Ede)
- 6745 XA
CMeYbOO g61Cl B52gX2TMFmaUpgrade naar KadastraleKaart Pro
Bekijk op Street View
Download DWG/DXF/Excel
bo5liji78UFOuUpgrade naar KadastraleKaart Pro
cvRxadAiqUpgrade naar KadastraleKaart Pro
q7UE sSaaPnN3XL eUpgrade naar KadastraleKaart Pro
YRXTp1qf7TrnWa JL5QCdnYUpgrade naar KadastraleKaart Pro
S5foOo NNQLjTQgiGH0Upgrade naar KadastraleKaart Pro
drE 0yCla718bz bhUpgrade naar KadastraleKaart Pro
GU 6CHR Upgrade naar KadastraleKaart Pro
BGti t qg XuKjzyMgUpgrade naar KadastraleKaart Pro
7reWdtFfYjnv3GLUpgrade naar KadastraleKaart Pro
urs29p7U2 aQwZ YUpgrade naar KadastraleKaart Pro
16/07/2012

Percelen
Gebruik de zoekbalk of klik op een perceel om informatie over het perceel te bekijken.