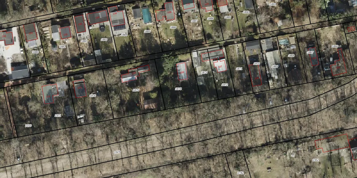
Perceel: EDE02-A-1874

Adres bij perceel

Perceeloppervlakte & perceelomtrek

658 m2 - 99 m

Eigenaar van het perceel

Eigenaar opvragen

Kadastrale aanduiding

EDE02-A-1874 (Eelde)

Postcode in perceel

    9766 TG

Type eigenaar

hmQ2QwFTmFK zIp2Rllp4EcUpgrade naar KadastraleKaart Pro

Google Street View

Bekijk op Street View

Download

Download DWG/DXF/Excel

Gerelateerde percelen

Q4qIQg 26HUpgrade naar KadastraleKaart Pro

Bebouwd/onbebouwd/water/groen

8WYUPyfbB0 l 62JtR28Upgrade naar KadastraleKaart Pro
Administratieve eenheden
CDJge8LctUpgrade naar KadastraleKaart Pro

Appartementsrechten

Al3ttnEp SYflaQLZUtx Upgrade naar KadastraleKaart Pro

Vergunningverlenende instanties

aGz Z8fqTkIyN3Upgrade naar KadastraleKaart Pro

Bedekking (BGT)

tR 0JYkrIMNgvbW3Upgrade naar KadastraleKaart Pro

Publiekrechtelijke beperkingen

zT Ez C74G9UWMFSIBUpgrade naar KadastraleKaart Pro

Grensnauwkeurigheid

63XB1wWM iynqu0LqjDUpgrade naar KadastraleKaart Pro

Coördinaten hoekpunten perceel

IAW 9l Huv5Y QRHl0aPQxjUpgrade naar KadastraleKaart Pro

Hoogteligging

uly8IIEd4ZgnEUpgrade naar KadastraleKaart Pro

Laatst gewijzigd

01/03/2005

Kadastrale kaart met maatvoering 59,95
Kadastrale kaart pakket 28,95

Percelen

Gebruik de zoekbalk of klik op een perceel om informatie over het perceel te bekijken.
Locatie
Meten
Lagen
Download