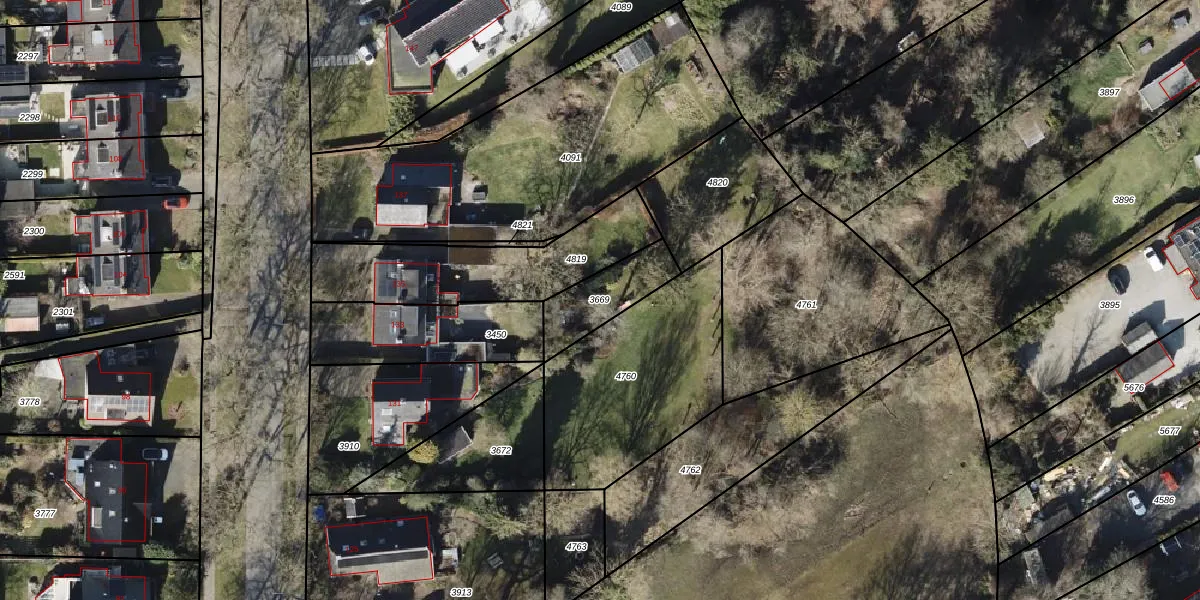
Perceel: EDE02-D-3669
Geen adressen bij dit perceel
168 m2 - 67 m
Eigenaar opvragen
EDE02-D-3669 (Eelde)
- Geen postcode aanwezig
00ck8wQWd5nvR7vPvKUpgrade naar KadastraleKaart Pro
Bekijk op Street View
Download DWG/DXF/Excel
rjDAI A0Upgrade naar KadastraleKaart Pro
osDcwxTbyLD5r eUpgrade naar KadastraleKaart Pro
PDSgUu7TrC9 rmtpwVsTLvUpgrade naar KadastraleKaart Pro
rvV1pIoP9rkDR60rwsuC1Upgrade naar KadastraleKaart Pro
W2MZ7frXyRUpgrade naar KadastraleKaart Pro
ORF eOwX LFto4dAdUpgrade naar KadastraleKaart Pro
K2XRvs 5GLQo jUGDIokUpgrade naar KadastraleKaart Pro
t3rqxaXUl0BZPgVGCG8gmmUpgrade naar KadastraleKaart Pro
PkUWifPmm6hyv42agwUpgrade naar KadastraleKaart Pro
jrTs9XN Upgrade naar KadastraleKaart Pro
09/07/2003

Percelen
Gebruik de zoekbalk of klik op een perceel om informatie over het perceel te bekijken.