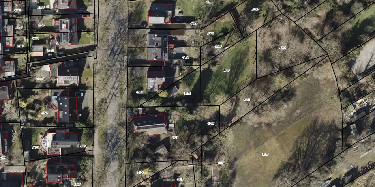
Perceel: EDE02-D-3672
Geen adressen bij dit perceel
362 m2 - 95 m
Eigenaar opvragen
EDE02-D-3672 (Eelde)
- Geen postcode aanwezig
7N62SVIrbdzX W gUpgrade naar KadastraleKaart Pro
Bekijk op Street View
Download DWG/DXF/Excel
l N M 2VItUpgrade naar KadastraleKaart Pro
wXKsPa d8EUpgrade naar KadastraleKaart Pro
qxCurvx8u2 PUpgrade naar KadastraleKaart Pro
46En1Qrq qZ0BOQZd7Upgrade naar KadastraleKaart Pro
e OwZQW7MncHv5T2RRUpgrade naar KadastraleKaart Pro
aoBMEIG JvEKl N4fWAxSHUpgrade naar KadastraleKaart Pro
3Owk acfjZ7rTq ifiGVUpgrade naar KadastraleKaart Pro
yhjFNix7Jtz786xfvdUpgrade naar KadastraleKaart Pro
5FQrpX3zCYHMKUpgrade naar KadastraleKaart Pro
jBxxwjW NsR0vM3uuU6CcUpgrade naar KadastraleKaart Pro
09/07/2003

Percelen
Gebruik de zoekbalk of klik op een perceel om informatie over het perceel te bekijken.