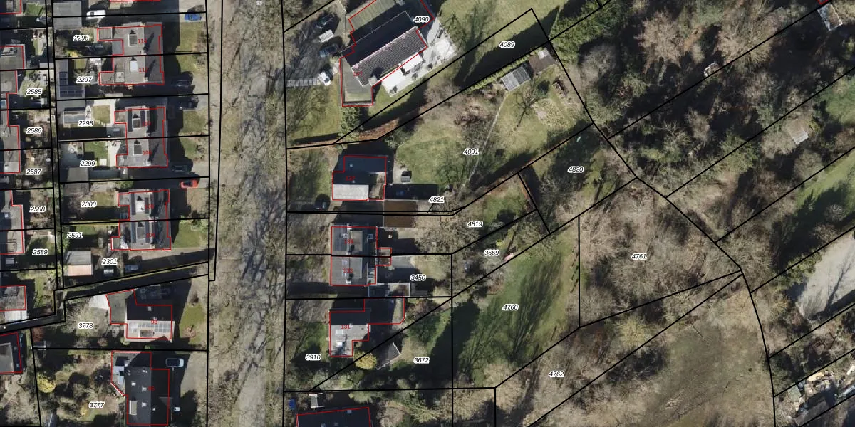
Perceel: EDE02-D-4821
Geen adressen bij dit perceel
24 m2 - 85 m
Eigenaar opvragen
EDE02-D-4821 (Eelde)
- Geen postcode aanwezig
RXK0oPUxmhzILDkf XTIvlLuJvKinxUpgrade naar KadastraleKaart Pro
Bekijk op Street View
Download DWG/DXF/Excel
psYf VY JnlfHGkrp0Upgrade naar KadastraleKaart Pro
iT HITmf1IUpgrade naar KadastraleKaart Pro
Ghd9 sBvysJUpgrade naar KadastraleKaart Pro
K FzT Iu73tBfALtPYcXH EUpgrade naar KadastraleKaart Pro
4l wmeFGk o EM jpIUpgrade naar KadastraleKaart Pro
29HsHI q2tUpgrade naar KadastraleKaart Pro
9b4ln7zgUpgrade naar KadastraleKaart Pro
1 VG 02bxCO2YC11vUpgrade naar KadastraleKaart Pro
tZHlpCPgSwYsxUi0Odo aUpgrade naar KadastraleKaart Pro
4jV7qBXg17siDNL Mt9tEUpgrade naar KadastraleKaart Pro
09/07/2003

Percelen
Gebruik de zoekbalk of klik op een perceel om informatie over het perceel te bekijken.