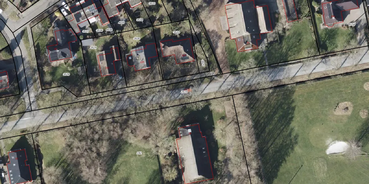
Perceel: EDE02-E-2619

Adres bij perceel

Geen adressen bij dit perceel

Perceeloppervlakte & perceelomtrek

3.137 m2 - 679 m

Eigenaar van het perceel

Eigenaar opvragen

Kadastrale aanduiding

EDE02-E-2619 (Eelde)

Postcode in perceel

    Geen postcode aanwezig

Type eigenaar

RXD9C41zaHMfteVBQmkgGQEuKxvF TUpgrade naar KadastraleKaart Pro

Google Street View

Bekijk op Street View

Download

Download DWG/DXF/Excel

Gerelateerde percelen

2ZwUPAhc8NMNJJRUpgrade naar KadastraleKaart Pro

Bebouwd/onbebouwd/water/groen

IqtcOdYXJgxlWCRDUpgrade naar KadastraleKaart Pro
Administratieve eenheden
Wg raR3ry1G o2M4C8 pUpgrade naar KadastraleKaart Pro

Appartementsrechten

JVnM5bx4elWuyjr Q9L1WUpgrade naar KadastraleKaart Pro

Vergunningverlenende instanties

D6r7RwURqR1rkSrR4HsiyUpgrade naar KadastraleKaart Pro

Bedekking (BGT)

5xTIcEWYheLrHJgFTG4Upgrade naar KadastraleKaart Pro

Publiekrechtelijke beperkingen

rkZITYGk68dZnQEOrfpUpgrade naar KadastraleKaart Pro

Grensnauwkeurigheid

ZfVd83zdS CUpgrade naar KadastraleKaart Pro

Coördinaten hoekpunten perceel

11lvmxtWhOLWt1wUpgrade naar KadastraleKaart Pro

Hoogteligging

iISBMWCxmjur5jP94gFBfUpgrade naar KadastraleKaart Pro

Laatst gewijzigd

17/02/2006

Kadastrale kaart met maatvoering 59,95
Kadastrale kaart pakket 28,95

Percelen

Gebruik de zoekbalk of klik op een perceel om informatie over het perceel te bekijken.
Locatie
Meten
Lagen
Download