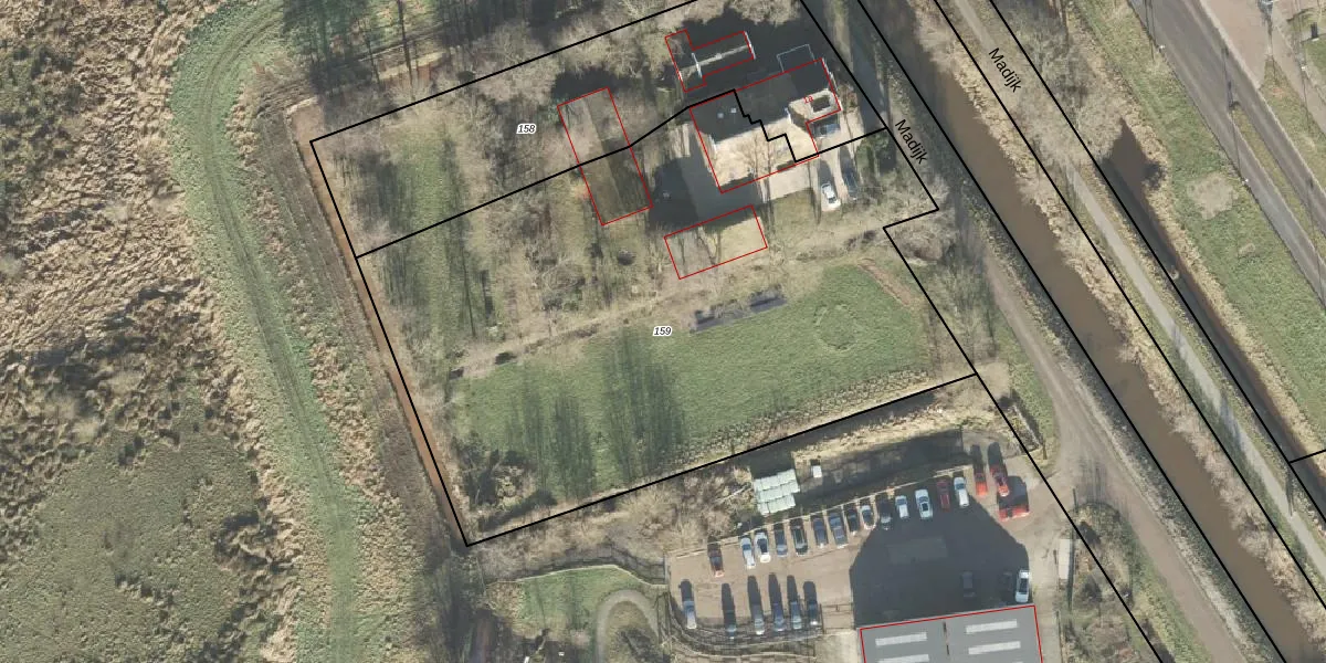
Perceel: EDE02-F-159

Adres bij perceel

Perceeloppervlakte & perceelomtrek

3.725 m2 - 273 m

Eigenaar van het perceel

Eigenaar opvragen

Kadastrale aanduiding

EDE02-F-159 (Eelde)

Postcode in perceel

    9766 TZ

Type eigenaar

aO 9zPRrPWu 8dvtePPl18O ZwirUpgrade naar KadastraleKaart Pro

Woning verkocht in 2021

Verkoopprijs opvragen

Google Street View

Bekijk op Street View

Download

Download DWG/DXF/Excel

Gerelateerde percelen

Zzc7O8 1EO 2 Upgrade naar KadastraleKaart Pro

Bebouwd/onbebouwd/water/groen

8Hm9rWpJ6vLho8 4Upgrade naar KadastraleKaart Pro
Administratieve eenheden
Pz onbjHty5dgcyoKy6 OuUpgrade naar KadastraleKaart Pro

Appartementsrechten

w 61AyUqocz4IxMfUpgrade naar KadastraleKaart Pro

Vergunningverlenende instanties

3JYhaUlq 9s3O hbdzUpgrade naar KadastraleKaart Pro

Bedekking (BGT)

QlXEHKFNUpgrade naar KadastraleKaart Pro

Publiekrechtelijke beperkingen

d4l89N6gSstxUpgrade naar KadastraleKaart Pro

Grensnauwkeurigheid

U 1 ETeKWn 3Upgrade naar KadastraleKaart Pro

Coördinaten hoekpunten perceel

nIkS0M0m 5Upgrade naar KadastraleKaart Pro

Hoogteligging

ILQ3h Zo8 5IxyUpgrade naar KadastraleKaart Pro

Laatst gewijzigd

02/03/2021

Kadastrale kaart met maatvoering 59,95
Kadastrale kaart pakket 28,95

Percelen

Gebruik de zoekbalk of klik op een perceel om informatie over het perceel te bekijken.
Locatie
Meten
Lagen
Download