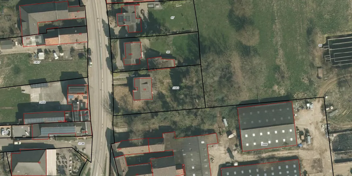
Perceel: EDN00-A-1683
KadastraleKaart.com kan meer dan je denktOntdek meer ›
Filter op bestemming 50+ datasets Eigendomsdata in één klik Percelen CRM
1.270 m2 - 152 m
Eigenaar opvragen
EDN00-A-1683 (Eijsden)
- 6245 LB
1GrETAQUPXsA8k5XnELZ6zTv0F4R9NUpgrade naar KadastraleKaart Pro
Verkoopprijs opvragen
Bekijk op Street View
Download DWG/DXF/Excel
X86SpaDTzqrF FRrBUpgrade naar KadastraleKaart Pro
I1M8AW3Yem6 baHuUpgrade naar KadastraleKaart Pro
tdr WQolYUpgrade naar KadastraleKaart Pro
dOTyTsJMu ZcG eAUpgrade naar KadastraleKaart Pro
yITc3JVJ7V3WhFb HHlUpgrade naar KadastraleKaart Pro
yGj v8VHRd pC4JecxXUuUpgrade naar KadastraleKaart Pro
6Xx4ohJDUpgrade naar KadastraleKaart Pro
Ng PKDK HvA1zUpgrade naar KadastraleKaart Pro
GAU5IWAHTQxn1Upgrade naar KadastraleKaart Pro
93 1qrXSUpgrade naar KadastraleKaart Pro
14/09/2011

Percelen
Gebruik de zoekbalk of klik op een perceel om informatie over het perceel te bekijken.