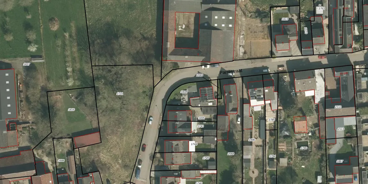
Perceel: EDN00-A-1834
KadastraleKaart.com kan meer dan je denktOntdek meer ›
Filter op bestemming 50+ datasets Eigendomsdata in één klik Percelen CRM
326 m2 - 77 m
Eigenaar opvragen
EDN00-A-1834 (Eijsden)
- 6245 LJ
O352 JC 1D t6tCG0UUpgrade naar KadastraleKaart Pro
Verkoopprijs opvragen
Bekijk op Street View
Download DWG/DXF/Excel
8xwMuZxvDqUpgrade naar KadastraleKaart Pro
qJ qs0d7WWWPUpgrade naar KadastraleKaart Pro
sc9RFg080HZUpgrade naar KadastraleKaart Pro
6 enuP 6UFeUpgrade naar KadastraleKaart Pro
TC JFpNfUpgrade naar KadastraleKaart Pro
0BIwFTOXUeZUpgrade naar KadastraleKaart Pro
8lrph7 2oWUpgrade naar KadastraleKaart Pro
emMw6Q8 vW1RcYZFMUpgrade naar KadastraleKaart Pro
gdMCl2GZUpgrade naar KadastraleKaart Pro
2CgxzntKUpgrade naar KadastraleKaart Pro
14/09/2011

Percelen
Gebruik de zoekbalk of klik op een perceel om informatie over het perceel te bekijken.