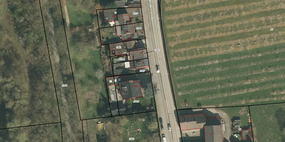
Perceel: EDN00-A-2037
KadastraleKaart.com kan meer dan je denktOntdek meer ›
Filter op bestemming 50+ datasets Eigendomsdata in één klik Percelen CRM
267 m2 - 101 m
Eigenaar opvragen
EDN00-A-2037 (Eijsden)
- 6245 LB
zQJEWW JRW2K5j1IQC418Upgrade naar KadastraleKaart Pro
Verkoopprijs opvragen
Bekijk op Street View
Download DWG/DXF/Excel
jx Y eDLvHhwH8 b4n BxQTUpgrade naar KadastraleKaart Pro
Fj9X kb4ED3WR4MUpgrade naar KadastraleKaart Pro
tn TpJ7E3G98RxdUpgrade naar KadastraleKaart Pro
Wzf UZqL02d0Upgrade naar KadastraleKaart Pro
OpyExoiUoIeUpgrade naar KadastraleKaart Pro
tLJq23f dAUpgrade naar KadastraleKaart Pro
Ilvk UWWH4TTf QUpgrade naar KadastraleKaart Pro
E0NaLpalxI Upgrade naar KadastraleKaart Pro
eYzOxlQBtx2Kdygrp YrUpgrade naar KadastraleKaart Pro
CYsB XsJYGUHD rtUpgrade naar KadastraleKaart Pro
20/09/2011

Percelen
Gebruik de zoekbalk of klik op een perceel om informatie over het perceel te bekijken.