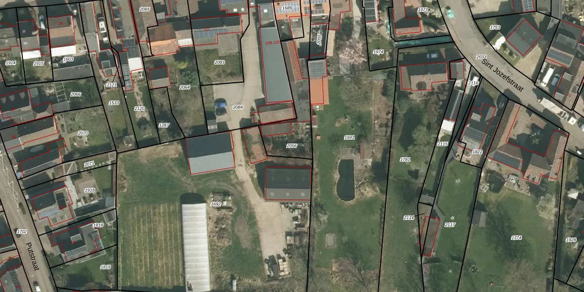
Perceel: EDN00-A-2056
KadastraleKaart.com kan meer dan je denktOntdek meer ›
Filter op bestemming 50+ datasets Eigendomsdata in één klik Percelen CRM
Geen adressen bij dit perceel
368 m2 - 163 m
Eigenaar opvragen
EDN00-A-2056 (Eijsden)
- Geen postcode aanwezig
lL UgQ3EGsdCdF3yqMXiUpgrade naar KadastraleKaart Pro
Bekijk op Street View
Download DWG/DXF/Excel
HbpY2TedrvxS 5GTq6LSHAUpgrade naar KadastraleKaart Pro
AgiajzVhPj0h4cpe Upgrade naar KadastraleKaart Pro
gPDzZVv sp4HJWoJLs6uaUpgrade naar KadastraleKaart Pro
FH77VJatbaaGM9kUpgrade naar KadastraleKaart Pro
HpdXQ3W EUpgrade naar KadastraleKaart Pro
yv9W lEkfxa1RUpgrade naar KadastraleKaart Pro
0tzX Dj0UJOac DSIUIdmGUpgrade naar KadastraleKaart Pro
vC 9rYYz OUpgrade naar KadastraleKaart Pro
3TQSST 8DiatXEUpgrade naar KadastraleKaart Pro
VTN3qh4lFUPUpgrade naar KadastraleKaart Pro
14/09/2011

Percelen
Gebruik de zoekbalk of klik op een perceel om informatie over het perceel te bekijken.