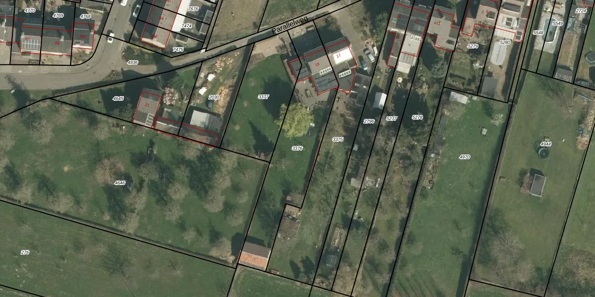
Perceel: EDN00-D-3376
KadastraleKaart.com kan meer dan je denktOntdek meer ›
Filter op bestemming 50+ datasets Eigendomsdata in één klik Percelen CRM
1.045 m2 - 199 m
Eigenaar opvragen
EDN00-D-3376 (Eijsden)
- 6245 JL
4 8kkETE4fuL1Ry Upgrade naar KadastraleKaart Pro
Verkoopprijs opvragen
Bekijk op Street View
Download DWG/DXF/Excel
GFUVmhErYiag9zF8o4DDiEUpgrade naar KadastraleKaart Pro
hSgWqlZi80WceU hY6b Upgrade naar KadastraleKaart Pro
ttJz xao2M9YgYnRb0pUpgrade naar KadastraleKaart Pro
8uaysGM5LFmjZ Upgrade naar KadastraleKaart Pro
CSP17MgZ4tUpgrade naar KadastraleKaart Pro
AS Pc5Lp uM8vhdmUpgrade naar KadastraleKaart Pro
4X27kE46u4gYUpgrade naar KadastraleKaart Pro
4DexZ438Bvm5j9TGUpgrade naar KadastraleKaart Pro
Rrtk K sLfO 6Upgrade naar KadastraleKaart Pro
Tvh qKbyFdUpgrade naar KadastraleKaart Pro
18/05/2004

Percelen
Gebruik de zoekbalk of klik op een perceel om informatie over het perceel te bekijken.