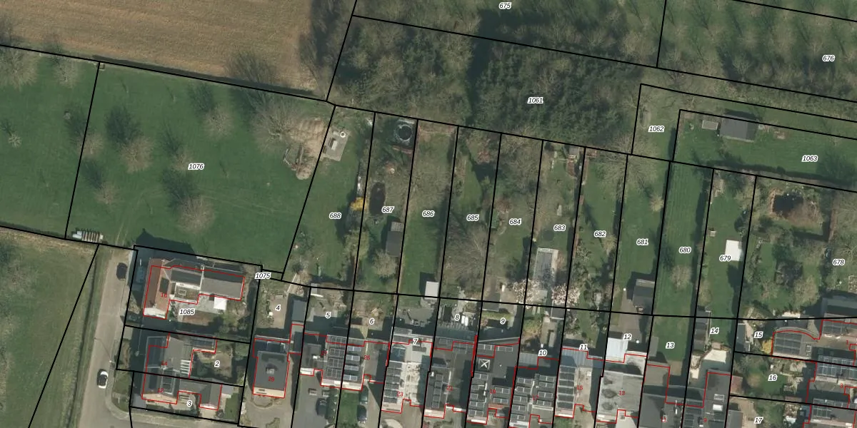
Perceel: EDN00-F-686
Geen adressen bij dit perceel
398 m2 - 101 m
Eigenaar opvragen
EDN00-F-686 (Eijsden)
- Geen postcode aanwezig
Lcddm2gkNcgY TLRig4H DW2GzvgcsvUpgrade naar KadastraleKaart Pro
Bekijk op Street View
Download DWG/DXF/Excel
47M8Qj0e4QZd AUpgrade naar KadastraleKaart Pro
u0RQp37a6LLPg sDUpgrade naar KadastraleKaart Pro
I73zOR0QnGh46jXz UnqVxUpgrade naar KadastraleKaart Pro
tmg6OZw9Upgrade naar KadastraleKaart Pro
CX0ZJJVLscUAhUpgrade naar KadastraleKaart Pro
ZuE gghmJRtHRJ1B Upgrade naar KadastraleKaart Pro
dWHAisuwoGUpgrade naar KadastraleKaart Pro
DqXh6ILssUpgrade naar KadastraleKaart Pro
3 W8pjJ3yHJp YUpgrade naar KadastraleKaart Pro
3vI1QSHfcyP7qRepUpgrade naar KadastraleKaart Pro
04/04/2003

Percelen
Gebruik de zoekbalk of klik op een perceel om informatie over het perceel te bekijken.