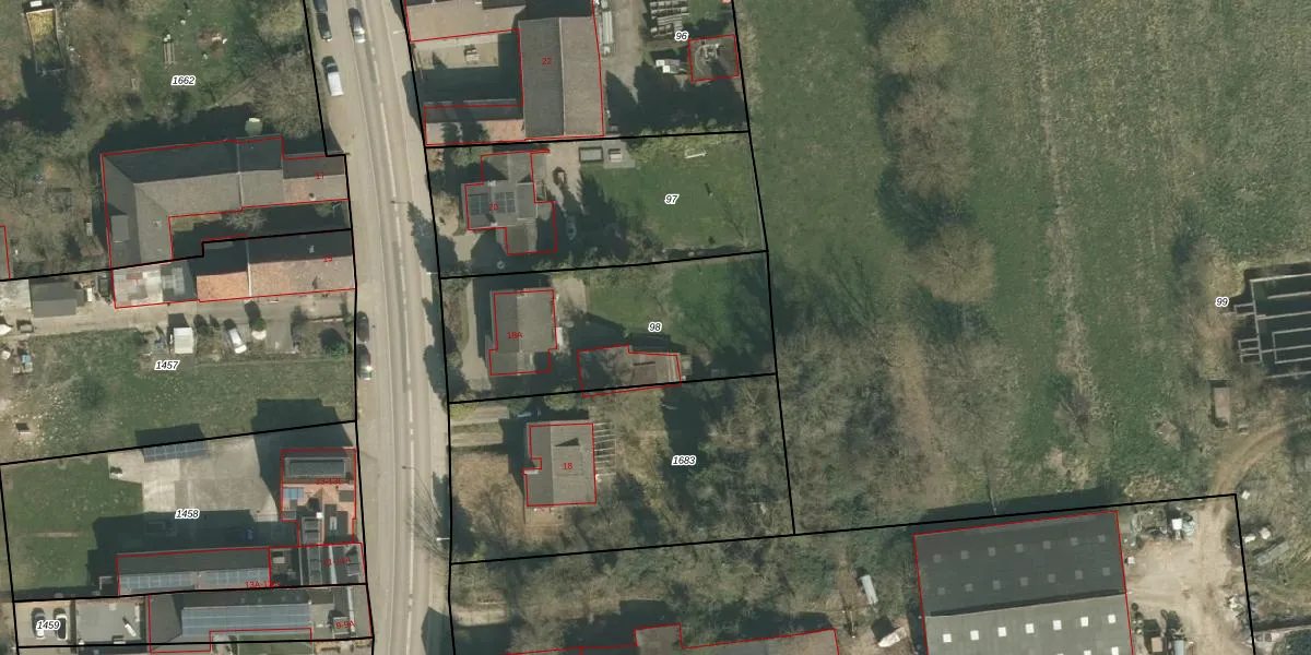
Perceel: EDN00-G-98
KadastraleKaart.com kan meer dan je denktOntdek meer ›
Filter op bestemming 50+ datasets Eigendomsdata in één klik Percelen CRM
939 m2 - 138 m
Eigenaar opvragen
EDN00-G-98 (Eijsden)
- 6245 LB
KA ICTvw n3eJs6I7Sr Gh6Upgrade naar KadastraleKaart Pro
Bekijk op Street View
Download DWG/DXF/Excel
T4RE47nQfh8iG6T2Upgrade naar KadastraleKaart Pro
7p5IhHocKjNb gcJWdpRz6Upgrade naar KadastraleKaart Pro
l bM5 ys57D6fu8RXIUpgrade naar KadastraleKaart Pro
sbWio K2rTXDYS0sQt q5Upgrade naar KadastraleKaart Pro
yUW8pcUY49i6Upgrade naar KadastraleKaart Pro
0SDs4IFxUpgrade naar KadastraleKaart Pro
DV 9idAjTkIYUpgrade naar KadastraleKaart Pro
C9eV nh5w bxgyQncvxUpgrade naar KadastraleKaart Pro
6 9qQi4fL12q5BUeUpgrade naar KadastraleKaart Pro
A09Es5t R XOb O9OTUpgrade naar KadastraleKaart Pro
14/09/2011

Percelen
Gebruik de zoekbalk of klik op een perceel om informatie over het perceel te bekijken.