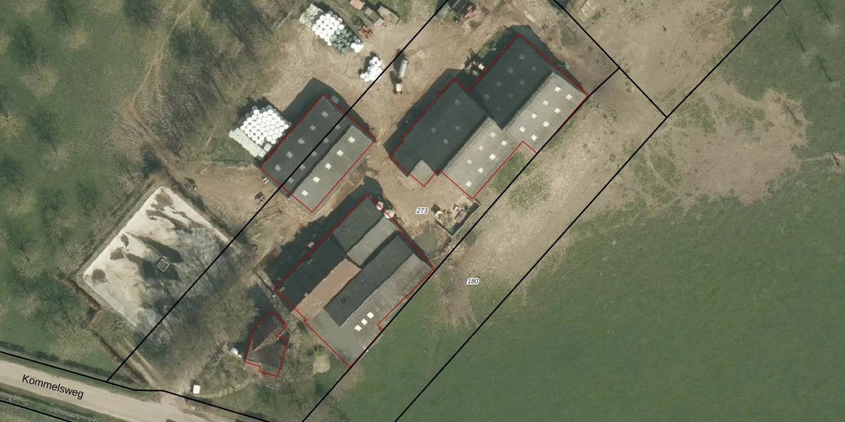
Perceel: EDN00-K-273
KadastraleKaart.com kan meer dan je denktOntdek meer ›
Filter op bestemming 50+ datasets Eigendomsdata in één klik Percelen CRM
5.146 m2 - 342 m
Eigenaar opvragen
EDN00-K-273 (Eijsden)
- 6245 KC
UP5hwwaEQQOvZq5ayplq3xPn5LLf Upgrade naar KadastraleKaart Pro
Bekijk op Street View
Download DWG/DXF/Excel
cj VJ1LIhUY HjlZrWCBzPzUpgrade naar KadastraleKaart Pro
oz pV7aJJZRmEW7rUpgrade naar KadastraleKaart Pro
376sPUueVfUpgrade naar KadastraleKaart Pro
p JzfQ4PQ gsTDUpgrade naar KadastraleKaart Pro
zcFgzEayvoWaTPNk6kgZEf5Upgrade naar KadastraleKaart Pro
IxT45CJYi uUpgrade naar KadastraleKaart Pro
zrfDVZL1Qy 0yUpgrade naar KadastraleKaart Pro
KTOrYl 2 KUpgrade naar KadastraleKaart Pro
wbvkF5kCUpgrade naar KadastraleKaart Pro
fBaWe161htV Upgrade naar KadastraleKaart Pro
12/09/2011

Percelen
Gebruik de zoekbalk of klik op een perceel om informatie over het perceel te bekijken.