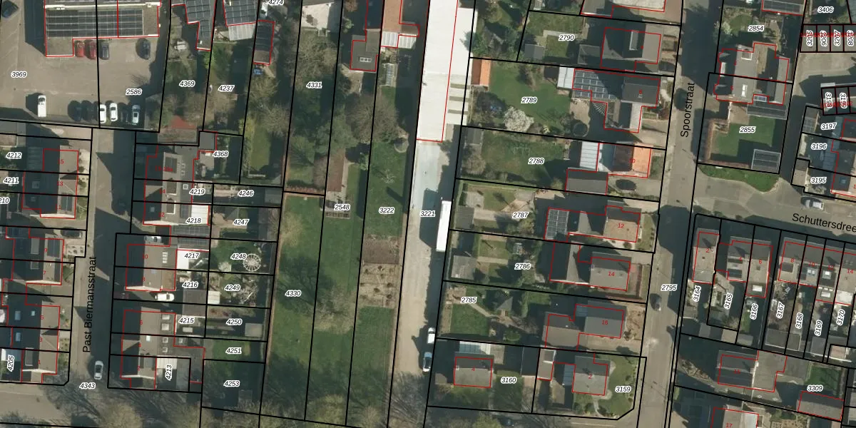
Perceel: ELO00-B-3221
KadastraleKaart.com kan meer dan je denktOntdek meer ›
Filter op bestemming 50+ datasets Eigendomsdata in één klik Percelen CRM
1.259 m2 - 268 m
Eigenaar opvragen
ELO00-B-3221 (Elsloo)
- 6181 AK
x0VpgksK1F4RUIg6AE87Qv5gF1 Upgrade naar KadastraleKaart Pro
Bekijk op Street View
Download DWG/DXF/Excel
EOy9xFPwoOQfUt PQ5eUpgrade naar KadastraleKaart Pro
GzGssrW tntUKUpgrade naar KadastraleKaart Pro
ETsFiRrIh61pehNGUpgrade naar KadastraleKaart Pro
Obp9wmOANmHykUpgrade naar KadastraleKaart Pro
a6741x7QQRR9Upgrade naar KadastraleKaart Pro
tD23 hNeC6f Upgrade naar KadastraleKaart Pro
8hUjqCx82yf4IxUpgrade naar KadastraleKaart Pro
yVIX4G5p1n2 odYBFUpgrade naar KadastraleKaart Pro
zz Ial8DXDXFPN D6Upgrade naar KadastraleKaart Pro
ZE Mhr4qAaiFJEkfucyUpgrade naar KadastraleKaart Pro
20/07/2009

Percelen
Gebruik de zoekbalk of klik op een perceel om informatie over het perceel te bekijken.