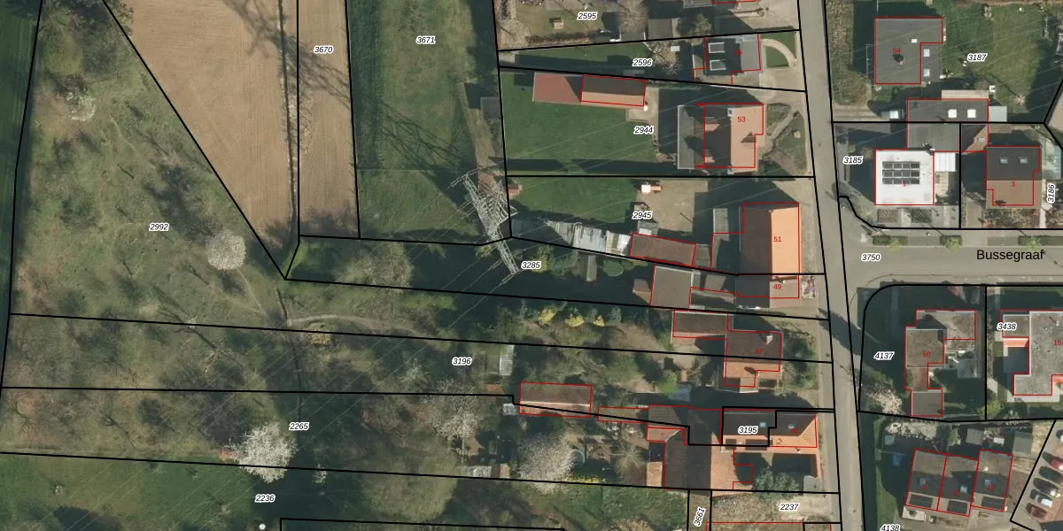
Perceel: ELO00-C-3285
KadastraleKaart.com kan meer dan je denktOntdek meer ›
Filter op bestemming 50+ datasets Eigendomsdata in één klik Percelen CRM
1.002 m2 - 220 m
Eigenaar opvragen
ELO00-C-3285 (Elsloo)
- 6181 JK
PpyTZtllD m 3XCPP80381hRdhwMdUpgrade naar KadastraleKaart Pro
Bekijk op Street View
Download DWG/DXF/Excel
1H68PZpWTCK HUpgrade naar KadastraleKaart Pro
dbSmTHd3IUpgrade naar KadastraleKaart Pro
V5cbGR5ZE w22QyeJDvFnUpgrade naar KadastraleKaart Pro
H nPi6sT Upgrade naar KadastraleKaart Pro
aSUgdy1mGESzz dRZLUpgrade naar KadastraleKaart Pro
pIcd2NPVpUpgrade naar KadastraleKaart Pro
2HBGKmybg DZ4EUpgrade naar KadastraleKaart Pro
Pib6oP PUpgrade naar KadastraleKaart Pro
t2f1QZL KOrQNIP2WtAoj sUpgrade naar KadastraleKaart Pro
3NZ XOA8faUpgrade naar KadastraleKaart Pro
08/10/2021

Percelen
Gebruik de zoekbalk of klik op een perceel om informatie over het perceel te bekijken.