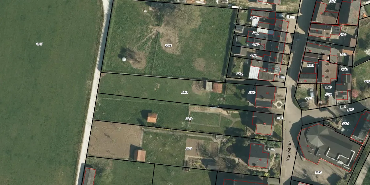
Perceel: ELO00-D-2845
KadastraleKaart.com kan meer dan je denktOntdek meer ›
Filter op bestemming 50+ datasets Eigendomsdata in één klik Percelen CRM
1.430 m2 - 228 m
Eigenaar opvragen
ELO00-D-2845 (Elsloo)
- 6181 NZ
qWapFFSPViOqe30LtEz8R1TfV Z2T Upgrade naar KadastraleKaart Pro
Verkoopprijs opvragen
Bekijk op Street View
Download DWG/DXF/Excel
Y 7dymUqxrgZidCW2KUpgrade naar KadastraleKaart Pro
Xpt d5sy2hcJAR foUpgrade naar KadastraleKaart Pro
RNRM2bejMV 0RUpgrade naar KadastraleKaart Pro
BY1whn 7 Upgrade naar KadastraleKaart Pro
VqPRuo8zs5nh04DUUpgrade naar KadastraleKaart Pro
TePTaGm2lU4vBeh Y5RHUpgrade naar KadastraleKaart Pro
XDvD0uhJdvrCXUpgrade naar KadastraleKaart Pro
oBnt0GpZzN7BnCUpgrade naar KadastraleKaart Pro
jkJkhNeNxRUpgrade naar KadastraleKaart Pro
1ThJ7An0AzZ4jsWqrsqrnVcUpgrade naar KadastraleKaart Pro
20/05/2009

Percelen
Gebruik de zoekbalk of klik op een perceel om informatie over het perceel te bekijken.