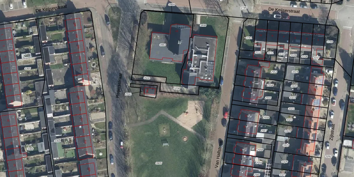
Perceel: ELS00-I-3208
KadastraleKaart.com kan meer dan je denktOntdek meer ›
Filter op bestemming 50+ datasets Eigendomsdata in één klik Percelen CRM
Geen adressen bij dit perceel
129 m2 - 77 m
Eigenaar opvragen
ELS00-I-3208 (Elst)
- Geen postcode aanwezig
R0zk4uOTe2 SYl nhUpgrade naar KadastraleKaart Pro
Bekijk op Street View
Download DWG/DXF/Excel
H8uUMrZ5KsUpgrade naar KadastraleKaart Pro
Ds3v32PgpMph8yFCyxcTvUpgrade naar KadastraleKaart Pro
4ZDMWCSdiolNsw6WC foCUpgrade naar KadastraleKaart Pro
I2lAr1K8e0 ut7NUpgrade naar KadastraleKaart Pro
hZBGV0cVgZRa9GUpgrade naar KadastraleKaart Pro
mrURsqn1Upgrade naar KadastraleKaart Pro
kuw ae gX0B39j7w8vS9sUpgrade naar KadastraleKaart Pro
7 YAWgCcnUpgrade naar KadastraleKaart Pro
eb3OH6hD8nMUpgrade naar KadastraleKaart Pro
ihWRkq tK4PsCvPB4MUpgrade naar KadastraleKaart Pro
30/11/2009

Percelen
Gebruik de zoekbalk of klik op een perceel om informatie over het perceel te bekijken.