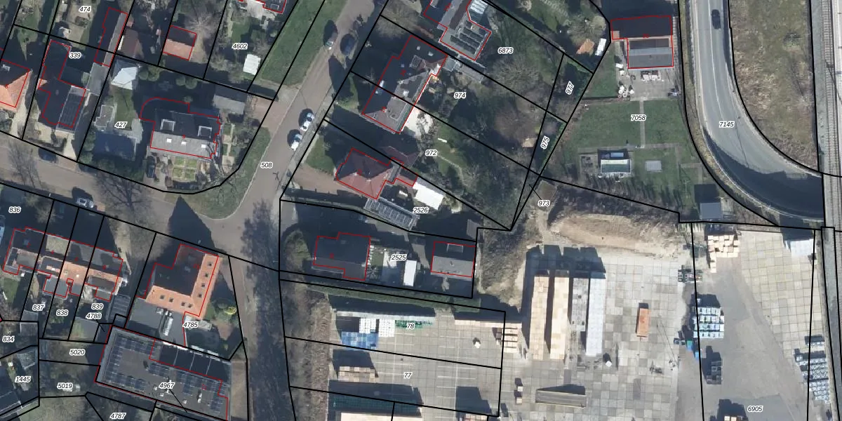
Perceel: ELS00-K-2526
680 m2 - 133 m
Eigenaar opvragen
ELS00-K-2526 (Elst)
- 6662 AA
FP3l9f4nXq6lv200hZ2s6cmyUpgrade naar KadastraleKaart Pro
Bekijk op Street View
Download DWG/DXF/Excel
R90cVPVk6t8LL2Us QTmoUpgrade naar KadastraleKaart Pro
EuR5qbGFCnKTSSK88JUCUpgrade naar KadastraleKaart Pro
V5cVAWL9 tjuJKDWFUpgrade naar KadastraleKaart Pro
rz OdbwyMZ5e QOiB89y oUpgrade naar KadastraleKaart Pro
JNYj1GC3zg9Z cmwUpgrade naar KadastraleKaart Pro
zGCWQo8opjwVDHgNPmUpgrade naar KadastraleKaart Pro
RD 5tp NL d8Upgrade naar KadastraleKaart Pro
dK6JfWTvWEbCj12UgUpgrade naar KadastraleKaart Pro
MkeYaTOSqPZimvEYspUifUpgrade naar KadastraleKaart Pro
DCxEkHvpUpgrade naar KadastraleKaart Pro
28/01/2003

Percelen
Gebruik de zoekbalk of klik op een perceel om informatie over het perceel te bekijken.