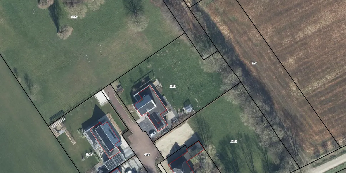
Perceel: ELS00-M-1883
KadastraleKaart.com kan meer dan je denktOntdek meer ›
Filter op bestemming 50+ datasets Eigendomsdata in één klik Percelen CRM
2.542 m2 - 209 m
Eigenaar opvragen
ELS00-M-1883 (Elst)
- 6662 NB
gFJAIoQEligUg23yjXbwx8m3AUpgrade naar KadastraleKaart Pro
Bekijk op Street View
Download DWG/DXF/Excel
uB4r9R SRHUpgrade naar KadastraleKaart Pro
N 91 Nu6WXFUpgrade naar KadastraleKaart Pro
fcVd0z87 8qUpgrade naar KadastraleKaart Pro
yXABjlpUpgrade naar KadastraleKaart Pro
Xn5Me2XAR Upgrade naar KadastraleKaart Pro
wuiFK9NhX6J SwHslqUpgrade naar KadastraleKaart Pro
cgeiwXMnbbEfVJlK Q fOUpgrade naar KadastraleKaart Pro
K7EyU7dio 58vx40GUpgrade naar KadastraleKaart Pro
r16LFMxlBRUpgrade naar KadastraleKaart Pro
hhlKOVvnOOXXJa6BB7rUpgrade naar KadastraleKaart Pro
30/01/2023

Percelen
Gebruik de zoekbalk of klik op een perceel om informatie over het perceel te bekijken.