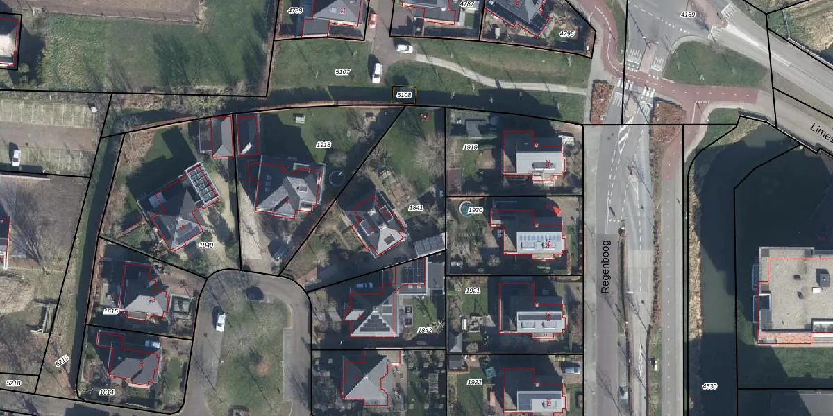
Perceel: ELS00-N-1841
KadastraleKaart.com kan meer dan je denktOntdek meer ›
Filter op bestemming 50+ datasets Eigendomsdata in één klik Percelen CRM
986 m2 - 138 m
Eigenaar opvragen
ELS00-N-1841 (Elst)
- 6661 RR
0pXFbbi3OYZWLy8TdYu2lJ4Upgrade naar KadastraleKaart Pro
Bekijk op Street View
Download DWG/DXF/Excel
oqO7XWALH5q yDYEUpgrade naar KadastraleKaart Pro
ekwZaa7l7v4 0Y4WfG6Rz6Upgrade naar KadastraleKaart Pro
rLRtT 9gPxjeXUpgrade naar KadastraleKaart Pro
vRObLpCzjKsZStWOyAUpgrade naar KadastraleKaart Pro
MoegIIoS zrh3HUpgrade naar KadastraleKaart Pro
uxdw1ug yB n Vb12BUpgrade naar KadastraleKaart Pro
2Mv2 K7NLdV Jn5MQ0rUpgrade naar KadastraleKaart Pro
eoLCVjEeQo Uzw6Upgrade naar KadastraleKaart Pro
gekOkZDXB hnLgJXurpUpgrade naar KadastraleKaart Pro
xMBfLj5UW 51EA7qOoUpgrade naar KadastraleKaart Pro
08/07/2008

Percelen
Gebruik de zoekbalk of klik op een perceel om informatie over het perceel te bekijken.