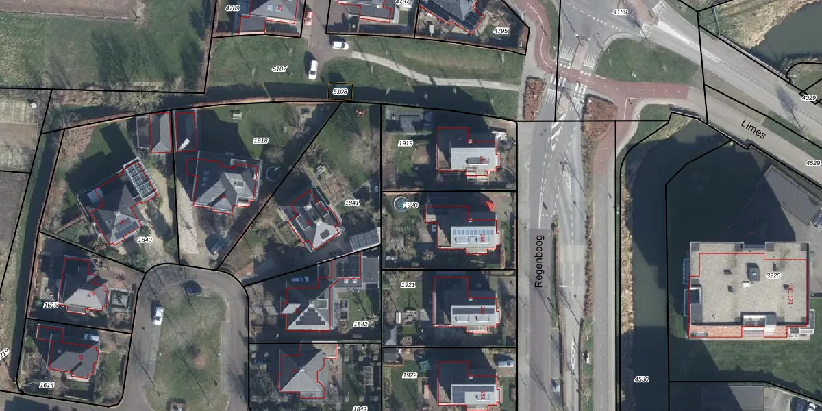
Perceel: ELS00-N-1920
KadastraleKaart.com kan meer dan je denktOntdek meer ›
Filter op bestemming 50+ datasets Eigendomsdata in één klik Percelen CRM
631 m2 - 104 m
Eigenaar opvragen
ELS00-N-1920 (Elst)
- 6661 PP
YCdC 0G566mbfPObnAzWw6FTC9vUpgrade naar KadastraleKaart Pro
Verkoopprijs opvragen
Bekijk op Street View
Download DWG/DXF/Excel
JY ynZxF1XrGxo8Upgrade naar KadastraleKaart Pro
tEMA1xR6CUpgrade naar KadastraleKaart Pro
YMGfUSiLkImCaky YDK Upgrade naar KadastraleKaart Pro
BSiLyUB e7vFC8bkuiUpgrade naar KadastraleKaart Pro
Mx A e3gXdG Vv b5kyUpgrade naar KadastraleKaart Pro
cbeJwzjgpTaYUUpgrade naar KadastraleKaart Pro
M5YQrevI32eM4gSuUpgrade naar KadastraleKaart Pro
g65diKZcal EUpgrade naar KadastraleKaart Pro
cs61EqEQidOi7TUpgrade naar KadastraleKaart Pro
WC9LK92IgPI4lGbjcJyfN1Upgrade naar KadastraleKaart Pro
08/07/2008

Percelen
Gebruik de zoekbalk of klik op een perceel om informatie over het perceel te bekijken.