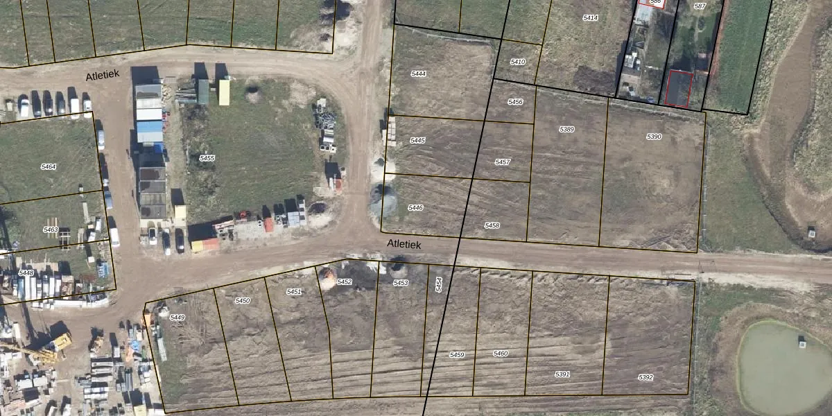
Perceel: ELS00-N-5446
289 m2 - 69 m
Eigenaar opvragen
ELS00-N-5446 (Elst)
- 6662 BX
xPhHuZO6tpudLXI yzAUFL uUpgrade naar KadastraleKaart Pro
Bekijk op Street View
Download DWG/DXF/Excel
sBhuu0qU1XVit16VB Upgrade naar KadastraleKaart Pro
Q 4Fq3388PPVrIN88V31Upgrade naar KadastraleKaart Pro
I1L5lDOr1geSExYUpgrade naar KadastraleKaart Pro
r HUc8kh2ntUpgrade naar KadastraleKaart Pro
sFQjCpV6jN ueDUpgrade naar KadastraleKaart Pro
q3Z6lKrLJ wsxw FXUpgrade naar KadastraleKaart Pro
F9qn1V1Cb l9 6DOUpgrade naar KadastraleKaart Pro
c9VEfVaFdYDX7Upgrade naar KadastraleKaart Pro
kmYaUI 9P4p1RCNIniUpgrade naar KadastraleKaart Pro
YNnDmOgINUpgrade naar KadastraleKaart Pro
30/06/2025

Percelen
Gebruik de zoekbalk of klik op een perceel om informatie over het perceel te bekijken.