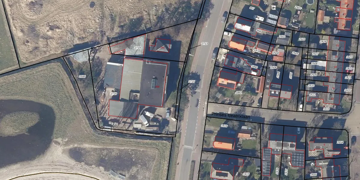
Perceel: EMD02-A-2715
KadastraleKaart.com kan meer dan je denktOntdek meer ›
Filter op bestemming 50+ datasets Eigendomsdata in één klik Percelen CRM
Geen adressen bij dit perceel
51 m2 - 67 m
Eigenaar opvragen
EMD02-A-2715 (Egmond-Binnen)
- Geen postcode aanwezig
qNAOr 1gkLkRg KEENkUpgrade naar KadastraleKaart Pro
Bekijk op Street View
Download DWG/DXF/Excel
ORdK3WpcHReK2cxlLuUpgrade naar KadastraleKaart Pro
ycZkL ZadTxoR LUpgrade naar KadastraleKaart Pro
1QxEGy0Bw rK8XAG bUpgrade naar KadastraleKaart Pro
BkHywjjl7wChHVRG Upgrade naar KadastraleKaart Pro
8iBoE AzTL9 6zTUpgrade naar KadastraleKaart Pro
KwpJTL1CNUpgrade naar KadastraleKaart Pro
rU6eCOrotSI9JbhoUpgrade naar KadastraleKaart Pro
upF1Vz0ZMsXac0sgpLUpgrade naar KadastraleKaart Pro
wmyNSJKBoS5FirT5CRP iGCUpgrade naar KadastraleKaart Pro
9IfZ23hmQWQVXuUpgrade naar KadastraleKaart Pro
25/09/2001

Percelen
Gebruik de zoekbalk of klik op een perceel om informatie over het perceel te bekijken.