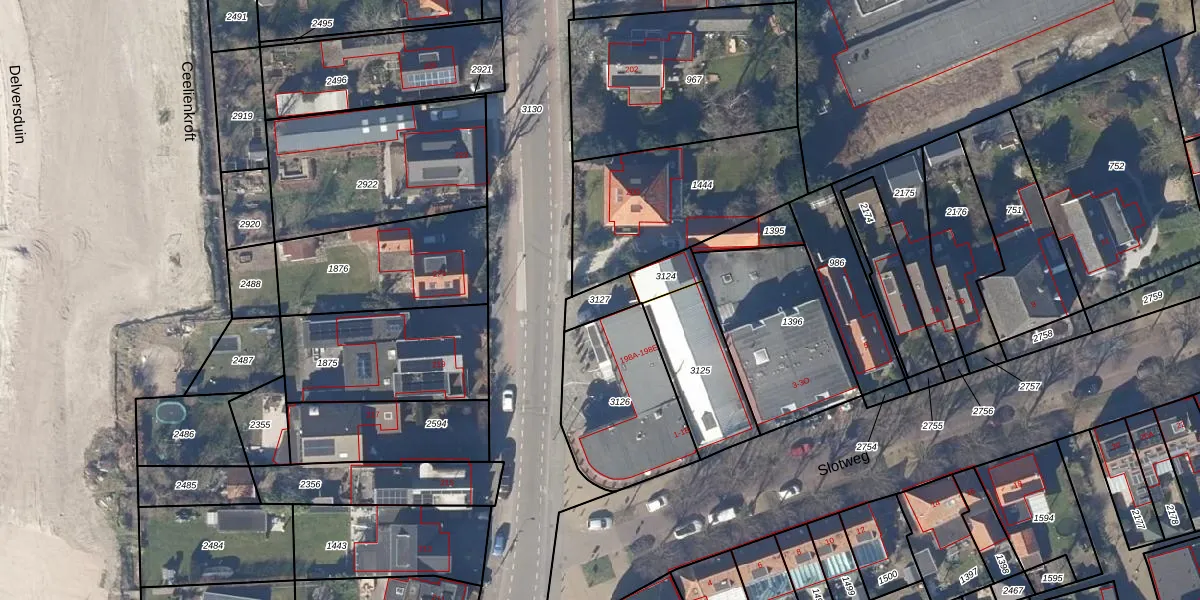
Perceel: EMD02-A-3127
KadastraleKaart.com kan meer dan je denktOntdek meer ›
Filter op bestemming 50+ datasets Eigendomsdata in één klik Percelen CRM
Geen adressen bij dit perceel
53 m2 - 36 m
Eigenaar opvragen
EMD02-A-3127 (Egmond-Binnen)
- Geen postcode aanwezig
Hi3 WCXlvEyvmNhUaB5AFU52QfwUpgrade naar KadastraleKaart Pro
Bekijk op Street View
Download DWG/DXF/Excel
iWkLxnh9b8JlrUpgrade naar KadastraleKaart Pro
OFdotDKPrUpgrade naar KadastraleKaart Pro
EgyKcaGW4XeJdf uEKzPCUpgrade naar KadastraleKaart Pro
3Dn1exA GzUpgrade naar KadastraleKaart Pro
2OJc4u M8mjd9CEUpgrade naar KadastraleKaart Pro
6u xypZU5 SsrqO59XWxgUpgrade naar KadastraleKaart Pro
5C bJDyGCuIrSsAM 0IwUpgrade naar KadastraleKaart Pro
i09k97AJ5 7N5eOshpwdUpgrade naar KadastraleKaart Pro
elAVpwa35TC0ycLispQWKAUpgrade naar KadastraleKaart Pro
UgMzZQ1hUpgrade naar KadastraleKaart Pro
11/09/2025

Percelen
Gebruik de zoekbalk of klik op een perceel om informatie over het perceel te bekijken.