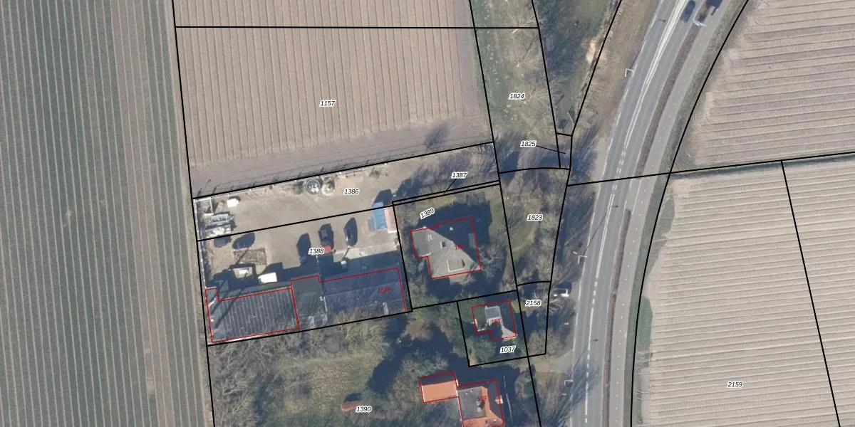
Perceel: EMD02-B-1389
KadastraleKaart.com kan meer dan je denktOntdek meer ›
Filter op bestemming 50+ datasets Eigendomsdata in één klik Percelen CRM
615 m2 - 100 m
Eigenaar opvragen
EMD02-B-1389 (Egmond-Binnen)
- 1934 PB
7bG dN3 pTv ms lct7j7st 4FUpgrade naar KadastraleKaart Pro
Bekijk op Street View
Download DWG/DXF/Excel
LL4g zqaUpgrade naar KadastraleKaart Pro
maVUd2dwyCY30iW KyqUpgrade naar KadastraleKaart Pro
OP5l9DA dBGU6ZOaQUpgrade naar KadastraleKaart Pro
08e34EhJ2yl Y8csUpgrade naar KadastraleKaart Pro
FVT WThq5dq1x0UKh qtyUpgrade naar KadastraleKaart Pro
eEVp I wT N90Upgrade naar KadastraleKaart Pro
fbYeBu21UBb9JJk00U4pgKUpgrade naar KadastraleKaart Pro
YAUzMzCfZM Upgrade naar KadastraleKaart Pro
sd1g3gsmapx Upgrade naar KadastraleKaart Pro
gvF96rkrpUpgrade naar KadastraleKaart Pro
30/06/2009

Percelen
Gebruik de zoekbalk of klik op een perceel om informatie over het perceel te bekijken.