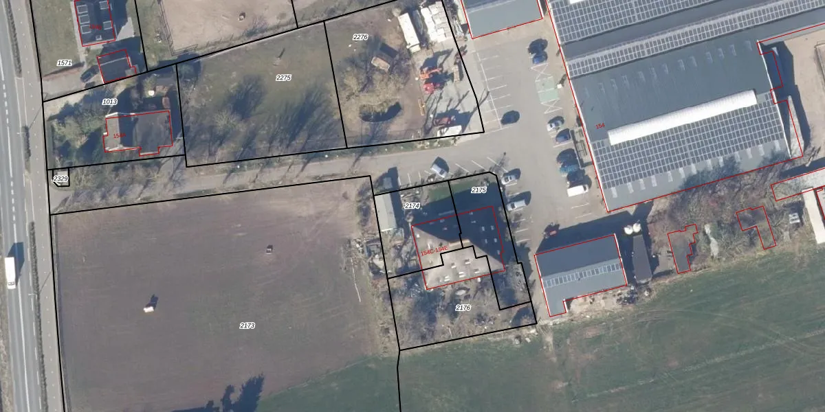
Perceel: EMD02-B-2174
KadastraleKaart.com kan meer dan je denktOntdek meer ›
Filter op bestemming 50+ datasets Eigendomsdata in één klik Percelen CRM
365 m2 - 79 m
Eigenaar opvragen
EMD02-B-2174 (Egmond-Binnen)
- 1934 PC
aWIBhGVjiAGXDs9NgnT4BJqUpgrade naar KadastraleKaart Pro
Bekijk op Street View
Download DWG/DXF/Excel
5rILRcLjUpgrade naar KadastraleKaart Pro
9K8w1yMnGhfrJdRqUpgrade naar KadastraleKaart Pro
WX8o sUm dTjh9W9UUpgrade naar KadastraleKaart Pro
5PWJsTwZMIg tU hfUpgrade naar KadastraleKaart Pro
6QZ5sK MfSs3ozbrapV QP3Upgrade naar KadastraleKaart Pro
xhH MEkQRUbXiD1cAi4qUpgrade naar KadastraleKaart Pro
a tcuXTxpJuLFY9oZuUpgrade naar KadastraleKaart Pro
u1T8DuFNCShn 5H5Upgrade naar KadastraleKaart Pro
wn3s4cJmiUpgrade naar KadastraleKaart Pro
bi0xe OJ1 eOIBAOILeyUpgrade naar KadastraleKaart Pro
24/07/2009

Percelen
Gebruik de zoekbalk of klik op een perceel om informatie over het perceel te bekijken.