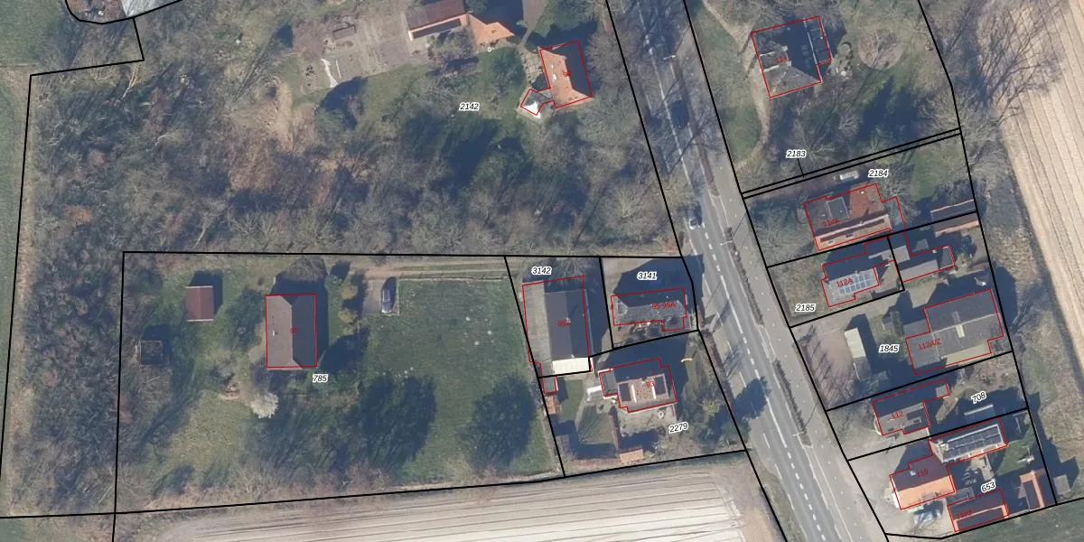
Perceel: EMD02-C-3142
KadastraleKaart.com kan meer dan je denktOntdek meer ›
Filter op bestemming 50+ datasets Eigendomsdata in één klik Percelen CRM
345 m2 - 81 m
Eigenaar opvragen
EMD02-C-3142 (Egmond-Binnen)
- 1935 AJ
OMz ufkARA3VYrxl0IjFpMIxZNUuUpgrade naar KadastraleKaart Pro
Bekijk op Street View
Download DWG/DXF/Excel
cTcBNtJty9wkiqcFXzaybFUpgrade naar KadastraleKaart Pro
jGXYaFwkiIhG9GeovJ6gT Upgrade naar KadastraleKaart Pro
z1xMyvscfM2IwBNqyRwEUpgrade naar KadastraleKaart Pro
BAfIAjEvleJ bA JXmUpgrade naar KadastraleKaart Pro
xjXtBAFhUpgrade naar KadastraleKaart Pro
2UJyYY pvk6yqdvm PFUpgrade naar KadastraleKaart Pro
2EFkQZY39nUpgrade naar KadastraleKaart Pro
UCbtHsd9UK 5fzx3j nUpgrade naar KadastraleKaart Pro
yQgzDmNpX0TBujibYUpgrade naar KadastraleKaart Pro
7fVv5O OAUpgrade naar KadastraleKaart Pro
13/12/2012

Percelen
Gebruik de zoekbalk of klik op een perceel om informatie over het perceel te bekijken.