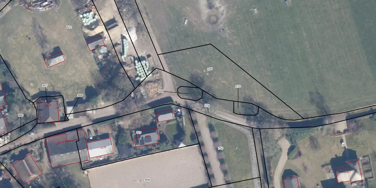
Perceel: EML00-C-569

Adres bij perceel

Geen adressen bij dit perceel

Perceeloppervlakte & perceelomtrek

85 m2 - 36 m

Eigenaar van het perceel

Eigenaar opvragen

Kadastrale aanduiding

EML00-C-569 (Ermelo)

Postcode in perceel

    Geen postcode aanwezig

Type eigenaar

8o6LwSdi 0MReD6 Upgrade naar KadastraleKaart Pro

Google Street View

Bekijk op Street View

Download

Download DWG/DXF/Excel

Gerelateerde percelen

WxolmSp 3 M NdtuUpgrade naar KadastraleKaart Pro

Bebouwd/onbebouwd/water/groen

d0aA6nLaHX jV4GUpgrade naar KadastraleKaart Pro
Administratieve eenheden
PgO8FPloK UwXDN7WSPir6Upgrade naar KadastraleKaart Pro

Appartementsrechten

2lIG B3YB2nUpgrade naar KadastraleKaart Pro

Vergunningverlenende instanties

ZtuKHSR awrWucD lqUpgrade naar KadastraleKaart Pro

Bedekking (BGT)

lXJ iEDI7NvA4gz gvMvUpgrade naar KadastraleKaart Pro

Publiekrechtelijke beperkingen

WZmPsx SXGx 5Afjd4kMUpgrade naar KadastraleKaart Pro

Grensnauwkeurigheid

I7lMY D31 hTByEJx Upgrade naar KadastraleKaart Pro

Coördinaten hoekpunten perceel

0R lI Z9Upgrade naar KadastraleKaart Pro

Hoogteligging

RsUp6dElUpgrade naar KadastraleKaart Pro

Laatst gewijzigd

07/08/2002

Kadastrale kaart met maatvoering 59,95
Kadastrale kaart pakket 28,95

Percelen

Gebruik de zoekbalk of klik op een perceel om informatie over het perceel te bekijken.
Locatie
Meten
Lagen
Download