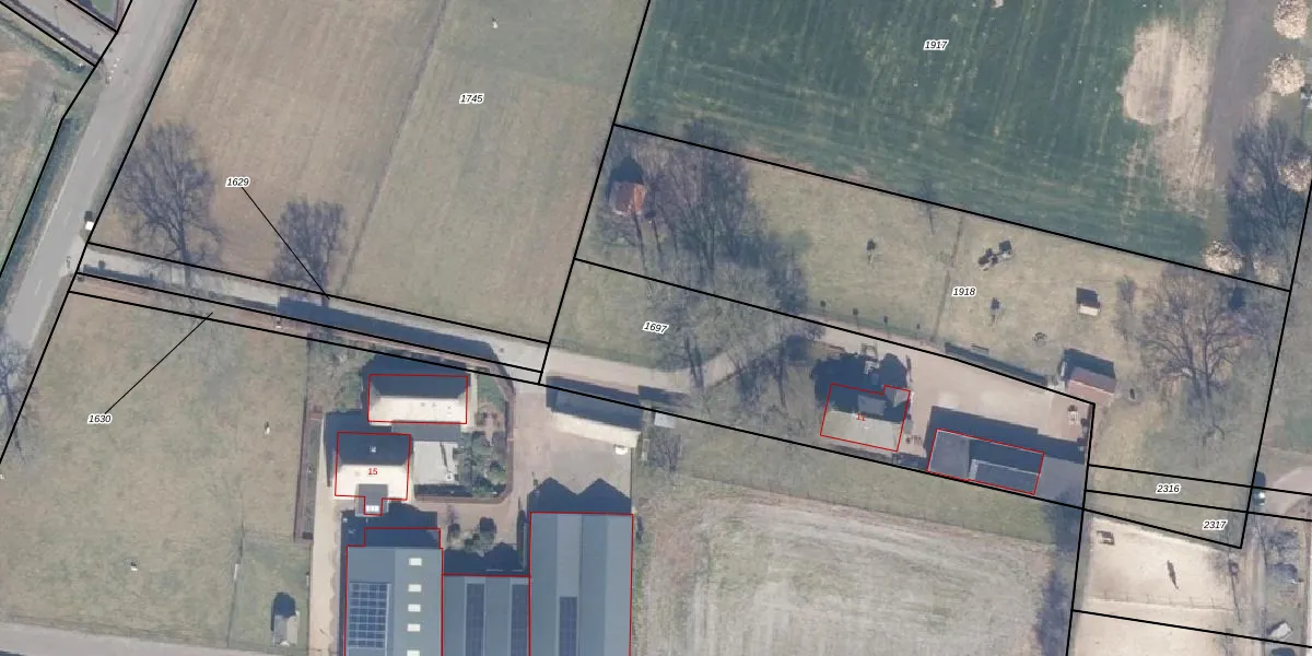
Perceel: EML00-D-1697
KadastraleKaart.com kan meer dan je denktOntdek meer ›
Filter op bestemming 50+ datasets Eigendomsdata in één klik Percelen CRM
1.750 m2 - 203 m
Eigenaar opvragen
EML00-D-1697 (Ermelo)
- 3852 PA
MG imy4iWc Jef0D1mTcy08rkeB2 RUpgrade naar KadastraleKaart Pro
Bekijk op Street View
Download DWG/DXF/Excel
kXVj7FR7oW4 bzSQGml92Upgrade naar KadastraleKaart Pro
oCs7LKekOPdAEUpgrade naar KadastraleKaart Pro
DBHSq7yXHz 7 kOUvIUpgrade naar KadastraleKaart Pro
ZI6G7zOdP Upgrade naar KadastraleKaart Pro
TZ275WvYzaVcX FNylkJUpgrade naar KadastraleKaart Pro
W 1QPv L 1YbNK2 fP5hn0Upgrade naar KadastraleKaart Pro
W44D5DMtOaUhio3OmihpwUpgrade naar KadastraleKaart Pro
HyIO dfvFQl5Vx RVUpgrade naar KadastraleKaart Pro
mEiVatsYwJ LZ TImI Upgrade naar KadastraleKaart Pro
QXUR261v vLfpaWdUpgrade naar KadastraleKaart Pro
07/12/2004

Percelen
Gebruik de zoekbalk of klik op een perceel om informatie over het perceel te bekijken.