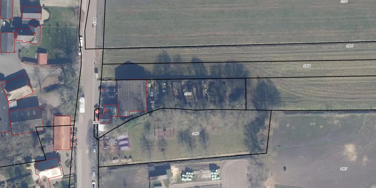
Perceel: EML00-D-1935
1.310 m2 - 209 m
Eigenaar opvragen
EML00-D-1935 (Ermelo)
- 3852 NH
4Swy LgzMgwfI6Ne8YgzyfFGwhHZY6 Upgrade naar KadastraleKaart Pro
Bekijk op Street View
Download DWG/DXF/Excel
RxkAWY ce3Upgrade naar KadastraleKaart Pro
eyf5FroZYBUpgrade naar KadastraleKaart Pro
s hKNVDyERWNonDP2gfUpgrade naar KadastraleKaart Pro
A2140rq 03cJlo 6LDbUpgrade naar KadastraleKaart Pro
uNDs2oLm SUpgrade naar KadastraleKaart Pro
SBoETGdtrPVU atQZqUpgrade naar KadastraleKaart Pro
pK1NJPAEXQtZUpgrade naar KadastraleKaart Pro
MAfbNVJXdL sXQhJPUpgrade naar KadastraleKaart Pro
QoZxA m7mE5WT 1Upgrade naar KadastraleKaart Pro
ZrzfG8kOThoOmUpgrade naar KadastraleKaart Pro
24/11/2023

Percelen
Gebruik de zoekbalk of klik op een perceel om informatie over het perceel te bekijken.