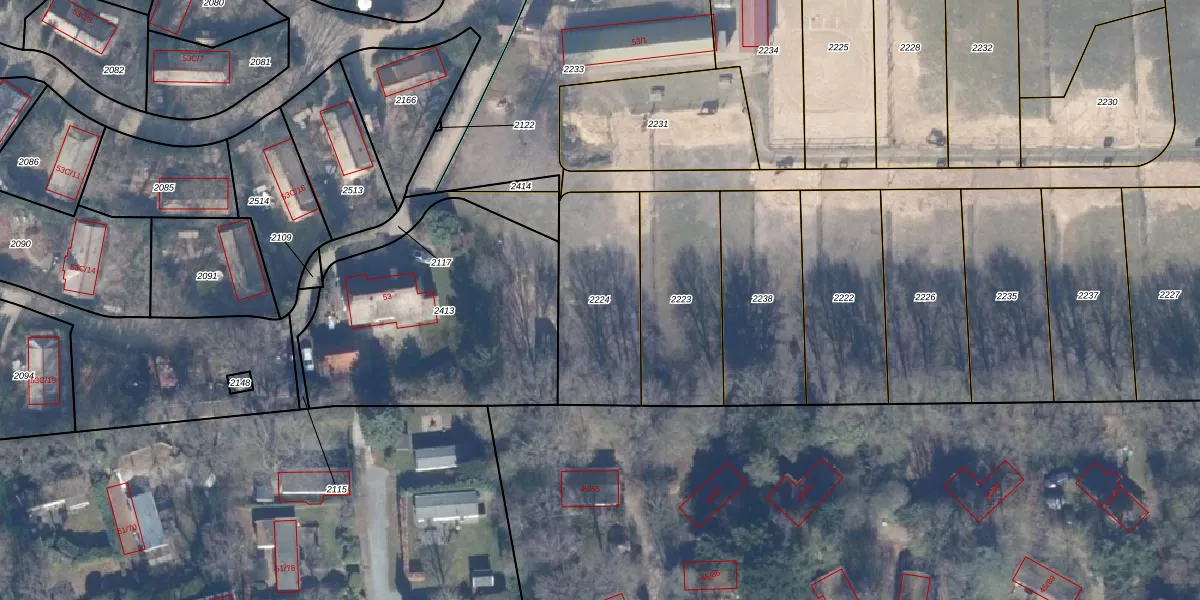
Perceel: EML00-D-2224
Geen adressen bij dit perceel
485 m2 - 98 m
Eigenaar opvragen
EML00-D-2224 (Ermelo)
- Geen postcode aanwezig
Z7VdPn2S3lZcq7jRXwaUpgrade naar KadastraleKaart Pro
Bekijk op Street View
Download DWG/DXF/Excel
XN5 35r2dihMUpgrade naar KadastraleKaart Pro
ZKV cK3 MCSVshDMGUpgrade naar KadastraleKaart Pro
lgc m21azDoQ7o3tf6csDUpgrade naar KadastraleKaart Pro
PtI5Wvs5NrbSjUpgrade naar KadastraleKaart Pro
jW3cWa l5vQEwcCq7M KSUpgrade naar KadastraleKaart Pro
L2Hxz5J3Upgrade naar KadastraleKaart Pro
BGWUS QjUUpgrade naar KadastraleKaart Pro
1YrnCcASl 69e7E5Ru aUpgrade naar KadastraleKaart Pro
DNSljjSqUpgrade naar KadastraleKaart Pro
FDDynWmX8CK FCNWLUpgrade naar KadastraleKaart Pro
13/02/2025

Percelen
Gebruik de zoekbalk of klik op een perceel om informatie over het perceel te bekijken.