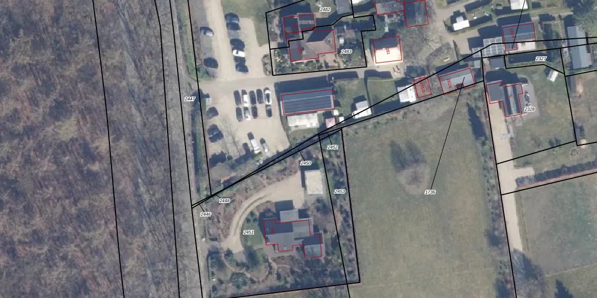
Perceel: EML00-D-2450
Geen adressen bij dit perceel
36 m2 - 73 m
Eigenaar opvragen
EML00-D-2450 (Ermelo)
- Geen postcode aanwezig
Z nA6WSahdP1JNx05Upgrade naar KadastraleKaart Pro
Bekijk op Street View
Download DWG/DXF/Excel
vldr2 t Z0mheH 9TKUpgrade naar KadastraleKaart Pro
SuLqs5k2hUpgrade naar KadastraleKaart Pro
M ndZH323RgvdXz8UoxUpgrade naar KadastraleKaart Pro
B h4b4D6Moe8nWS SOtUpgrade naar KadastraleKaart Pro
lE 4xj1gWw BKKcU qUpgrade naar KadastraleKaart Pro
gBJD2h ugjzC NIqewEuQCLUpgrade naar KadastraleKaart Pro
x84SpykH54vEoz 6 GUpgrade naar KadastraleKaart Pro
Da yrn B o0n6HUpgrade naar KadastraleKaart Pro
Q oP6neT 3TzCDZt3ZmNnUpgrade naar KadastraleKaart Pro
FBQ2sCLazHe9yEEchmtUpgrade naar KadastraleKaart Pro
31/08/2022

Percelen
Gebruik de zoekbalk of klik op een perceel om informatie over het perceel te bekijken.