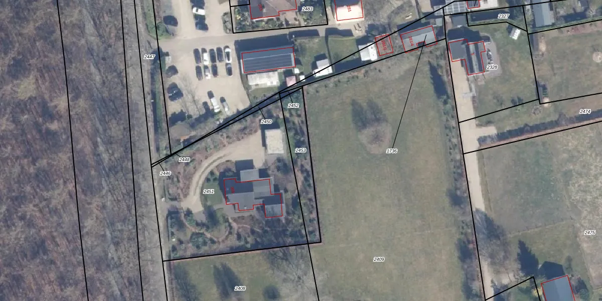
Perceel: EML00-D-2453
Geen adressen bij dit perceel
300 m2 - 113 m
Eigenaar opvragen
EML00-D-2453 (Ermelo)
- Geen postcode aanwezig
DC6CK1tYljrcV9gBAGS44r DLFC cUpgrade naar KadastraleKaart Pro
Bekijk op Street View
Download DWG/DXF/Excel
BTaqSfWN195GM bysUpgrade naar KadastraleKaart Pro
HqBZ5FlJxGrEkUpgrade naar KadastraleKaart Pro
Zgy9WJy QWpvrCeKhUpgrade naar KadastraleKaart Pro
TiT j HIULUpgrade naar KadastraleKaart Pro
rDuNGqSP9JUpgrade naar KadastraleKaart Pro
tSSQdn 8tcAjYS2hA6bUpgrade naar KadastraleKaart Pro
osrw kpokCgUpgrade naar KadastraleKaart Pro
ys 5Ox5IUpgrade naar KadastraleKaart Pro
D1Boy u XrMVUpgrade naar KadastraleKaart Pro
I7ORwfuztPUpgrade naar KadastraleKaart Pro
31/08/2022

Percelen
Gebruik de zoekbalk of klik op een perceel om informatie over het perceel te bekijken.