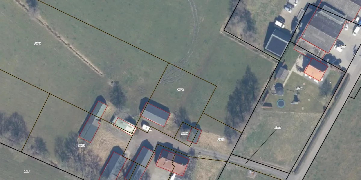
Perceel: EML00-D-2568
1.034 m2 - 140 m
Eigenaar opvragen
EML00-D-2568 (Ermelo)
- 3852 PH
tDSp08k FzlTR4E612e cbE4Upgrade naar KadastraleKaart Pro
Bekijk op Street View
Download DWG/DXF/Excel
UGAloVhY3 CmUpgrade naar KadastraleKaart Pro
LHp HOqiKgKdZZUpgrade naar KadastraleKaart Pro
Xn 2QBYr m6SXnUpgrade naar KadastraleKaart Pro
5d fKNG 7LDROODbUpgrade naar KadastraleKaart Pro
f1XlqT 3OW aepUpgrade naar KadastraleKaart Pro
Dkzo 7CXFUpgrade naar KadastraleKaart Pro
eRp4gDnjUpgrade naar KadastraleKaart Pro
nVmvrkmhzwmaWZOBoUpgrade naar KadastraleKaart Pro
azAuF6LhzH1aakUpgrade naar KadastraleKaart Pro
cF47TpmSUpgrade naar KadastraleKaart Pro
22/08/2025

Percelen
Gebruik de zoekbalk of klik op een perceel om informatie over het perceel te bekijken.