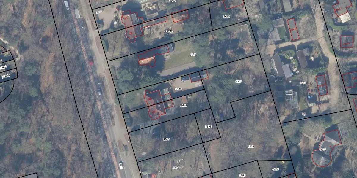
Perceel: EML00-E-1644
514 m2 - 117 m
Eigenaar opvragen
EML00-E-1644 (Ermelo)
- 3852 AG
lShbg cQmWG1 qCQpMmph NEUpgrade naar KadastraleKaart Pro
Verkoopprijs opvragen
Bekijk op Street View
Download DWG/DXF/Excel
mkCOJPjgQ5KqkNDUpgrade naar KadastraleKaart Pro
Tu wsf4v61iwB0KpUpgrade naar KadastraleKaart Pro
gzKKxEm2MUpgrade naar KadastraleKaart Pro
0lGBzT IWqZyMEh 0dBcyLUpgrade naar KadastraleKaart Pro
0K5Btt3 YltUpgrade naar KadastraleKaart Pro
u9npvSC Y 8Q0lwDSdtI pqUpgrade naar KadastraleKaart Pro
gnhVyX vlYg3 jrRV tzy Upgrade naar KadastraleKaart Pro
TWGxJKCW3YUpgrade naar KadastraleKaart Pro
tDVkilY43RUpgrade naar KadastraleKaart Pro
dikYeOUyZOT1oC 5JnXVUpgrade naar KadastraleKaart Pro
28/06/2007

Percelen
Gebruik de zoekbalk of klik op een perceel om informatie over het perceel te bekijken.