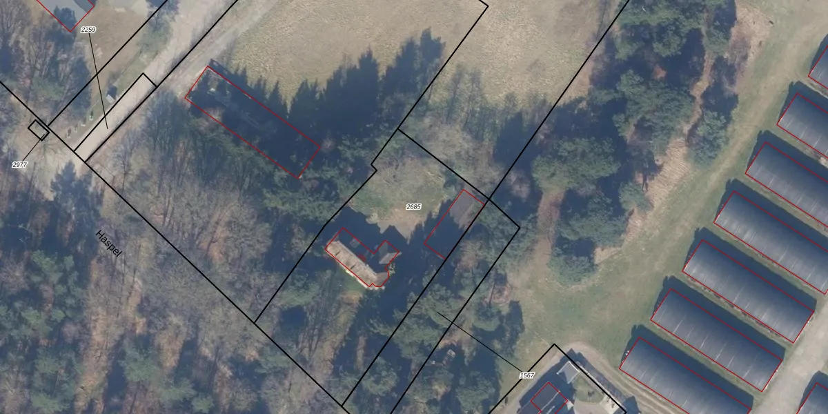
Perceel: EML00-E-2685
KadastraleKaart.com kan meer dan je denktOntdek meer ›
Filter op bestemming 50+ datasets Eigendomsdata in één klik Percelen CRM
1.710 m2 - 179 m
Eigenaar opvragen
EML00-E-2685 (Ermelo)
- 3852 LR
l8RtiuKJxPK5wiLzf2m5BO5fLqI5d9Upgrade naar KadastraleKaart Pro
Bekijk op Street View
Download DWG/DXF/Excel
D SJxMe1jHe4g2Ti eYR2KFUpgrade naar KadastraleKaart Pro
wHNjb85NSL4Nv imUpgrade naar KadastraleKaart Pro
CfL sI1TFFWR7ha4WNVUpgrade naar KadastraleKaart Pro
O trZ4hVSUpgrade naar KadastraleKaart Pro
VMxR7EfpD MtKhxqRt4Upgrade naar KadastraleKaart Pro
V Jo TkLbjjr ySlUpgrade naar KadastraleKaart Pro
fyj3lq fKud x nRz9Upgrade naar KadastraleKaart Pro
djQarPOT8XlGEYS7l1Upgrade naar KadastraleKaart Pro
xBXdzmBFiUpgrade naar KadastraleKaart Pro
Ntba6p2R oUaCQzlFla Upgrade naar KadastraleKaart Pro
07/06/2005

Percelen
Gebruik de zoekbalk of klik op een perceel om informatie over het perceel te bekijken.