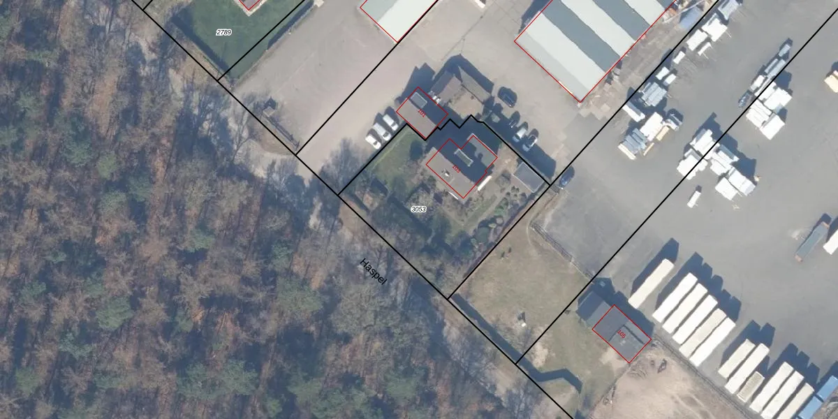
Perceel: EML00-E-3053
KadastraleKaart.com kan meer dan je denktOntdek meer ›
Filter op bestemming 50+ datasets Eigendomsdata in één klik Percelen CRM
1.195 m2 - 144 m
Eigenaar opvragen
EML00-E-3053 (Ermelo)
- 3852 LR
Az VQWeXmrGAeHggrUpgrade naar KadastraleKaart Pro
Bekijk op Street View
Download DWG/DXF/Excel
TpiCgG7fF49X M Upgrade naar KadastraleKaart Pro
ci81xJ jqw1AB90gxKIUpgrade naar KadastraleKaart Pro
7HxOeipwp8XhymmBUpgrade naar KadastraleKaart Pro
vWVnDzWwM69DG NdAGkkxUpgrade naar KadastraleKaart Pro
axTU6DzY YXpA4PYiIuUpgrade naar KadastraleKaart Pro
QJhmJf5oEKKC2B2W2Upgrade naar KadastraleKaart Pro
jR3W vK5xUg lSALJvEXnj Upgrade naar KadastraleKaart Pro
i4tRrk1FnBRLc ROuDdiUpgrade naar KadastraleKaart Pro
5MgI hiU5eoUpgrade naar KadastraleKaart Pro
uKrF n yzKThUpgrade naar KadastraleKaart Pro
22/06/2010

Percelen
Gebruik de zoekbalk of klik op een perceel om informatie over het perceel te bekijken.