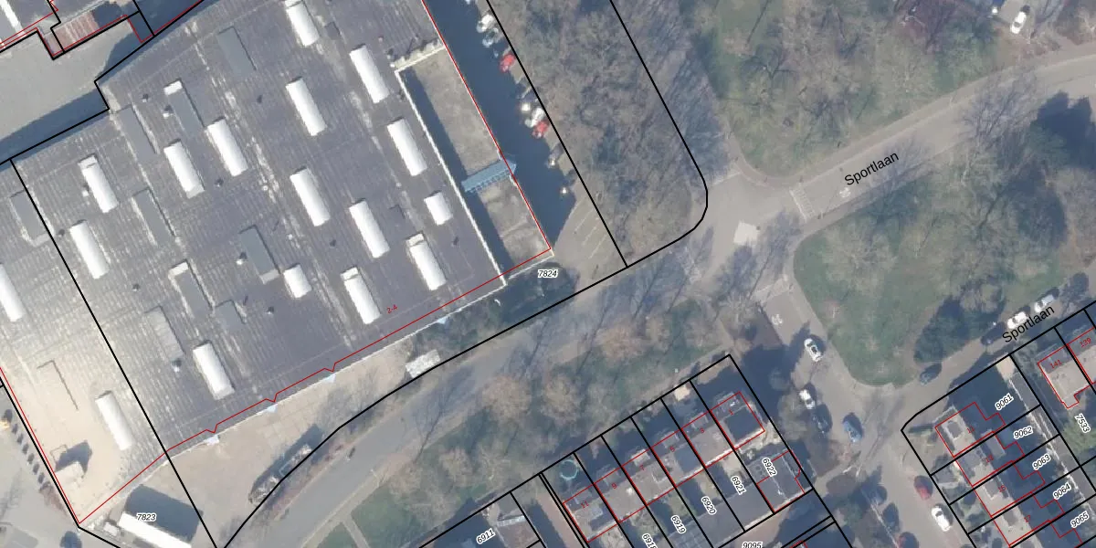
Perceel: EML00-F-7824
7.102 m2 - 351 m
Eigenaar opvragen
EML00-F-7824 (Ermelo)
- 3851 BD
knIIcmnrRKtpLrv9 mZ11h2MotXVKUpgrade naar KadastraleKaart Pro
Bekijk op Street View
Download DWG/DXF/Excel
tBcKmtcz Qr xuNB gUpgrade naar KadastraleKaart Pro
cHo nrQH05Upgrade naar KadastraleKaart Pro
LR0oVTXN oHB1QF 4iUpgrade naar KadastraleKaart Pro
JpGwBvZyCrhGPRiqLLUpgrade naar KadastraleKaart Pro
ACK3vP2ybUpgrade naar KadastraleKaart Pro
dkbgFivtfRwJsUpgrade naar KadastraleKaart Pro
biNTxU5LrWUpgrade naar KadastraleKaart Pro
07X4 JNpJmQKMThip 9505JUpgrade naar KadastraleKaart Pro
gk hK Mq1V4YueV5aMYExUpgrade naar KadastraleKaart Pro
Us1B0ZRogZn1s5Upgrade naar KadastraleKaart Pro
28/12/2006

Percelen
Gebruik de zoekbalk of klik op een perceel om informatie over het perceel te bekijken.