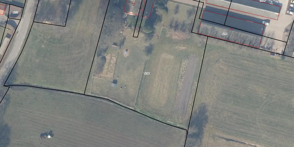
Perceel: EML00-G-4298
KadastraleKaart.com kan meer dan je denktOntdek meer ›
Filter op bestemming 50+ datasets Eigendomsdata in één klik Percelen CRM
6.095 m2 - 427 m
Eigenaar opvragen
EML00-G-4298 (Ermelo)
- 3853 NJ
I MKmViOKHX MQA Zunj7RVUpgrade naar KadastraleKaart Pro
Bekijk op Street View
Download DWG/DXF/Excel
F GnBnXAUpgrade naar KadastraleKaart Pro
BDT47eQRWgU OcJ8VUpgrade naar KadastraleKaart Pro
ou4 4uH2Upgrade naar KadastraleKaart Pro
koAaZ5Fb5cbUpgrade naar KadastraleKaart Pro
xqBKoo8OUpgrade naar KadastraleKaart Pro
eDX7rC1I4H jK kYi ZUpgrade naar KadastraleKaart Pro
WQ2GFypckCZj5joUpgrade naar KadastraleKaart Pro
srYfMHjIlAaYvL3DNbvGCUpgrade naar KadastraleKaart Pro
vZUiW2KiqMplMRUpgrade naar KadastraleKaart Pro
h3 GzOAQRpo4uL 5SpD4Upgrade naar KadastraleKaart Pro
19/07/2018

Percelen
Gebruik de zoekbalk of klik op een perceel om informatie over het perceel te bekijken.