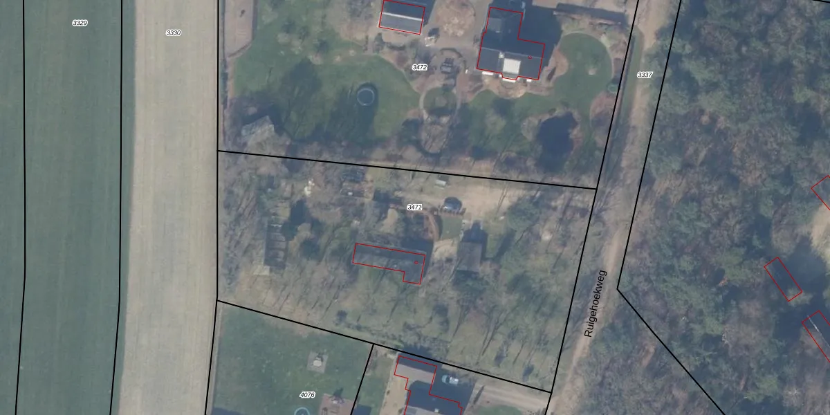
Perceel: EML00-H-3471

Adres bij perceel

Perceeloppervlakte & perceelomtrek

3.735 m2 - 262 m

Eigenaar van het perceel

Eigenaar opvragen

Kadastrale aanduiding

EML00-H-3471 (Ermelo)

Postcode in perceel

    3853 PM

Type eigenaar

ZfjgBihD0zRvp1Q HPyUpgrade naar KadastraleKaart Pro

Woning verkocht in 2022

Verkoopprijs opvragen

Google Street View

Bekijk op Street View

Download

Download DWG/DXF/Excel

Gerelateerde percelen

d142svJafy3l86 NBuMCLUpgrade naar KadastraleKaart Pro

Bebouwd/onbebouwd/water/groen

6G8wg qbbUpgrade naar KadastraleKaart Pro
Administratieve eenheden
nfnVBdrT9R4HwAXYEUpgrade naar KadastraleKaart Pro

Appartementsrechten

L51qmJ39Upgrade naar KadastraleKaart Pro

Vergunningverlenende instanties

e4JC SH55 K2G kRLMUpgrade naar KadastraleKaart Pro

Bedekking (BGT)

CcFY9hJVChokocyL5VVUpgrade naar KadastraleKaart Pro

Publiekrechtelijke beperkingen

pA6 9 tUpgrade naar KadastraleKaart Pro

Grensnauwkeurigheid

8AOKCD1SRx IUpgrade naar KadastraleKaart Pro

Coördinaten hoekpunten perceel

f FkzI3EaMDwGRgsUpgrade naar KadastraleKaart Pro

Hoogteligging

DuFn9ryF7Upgrade naar KadastraleKaart Pro

Laatst gewijzigd

16/04/2003

Kadastrale kaart met maatvoering 59,95
Kadastrale kaart pakket 28,95

Percelen

Gebruik de zoekbalk of klik op een perceel om informatie over het perceel te bekijken.
Locatie
Meten
Lagen
Download