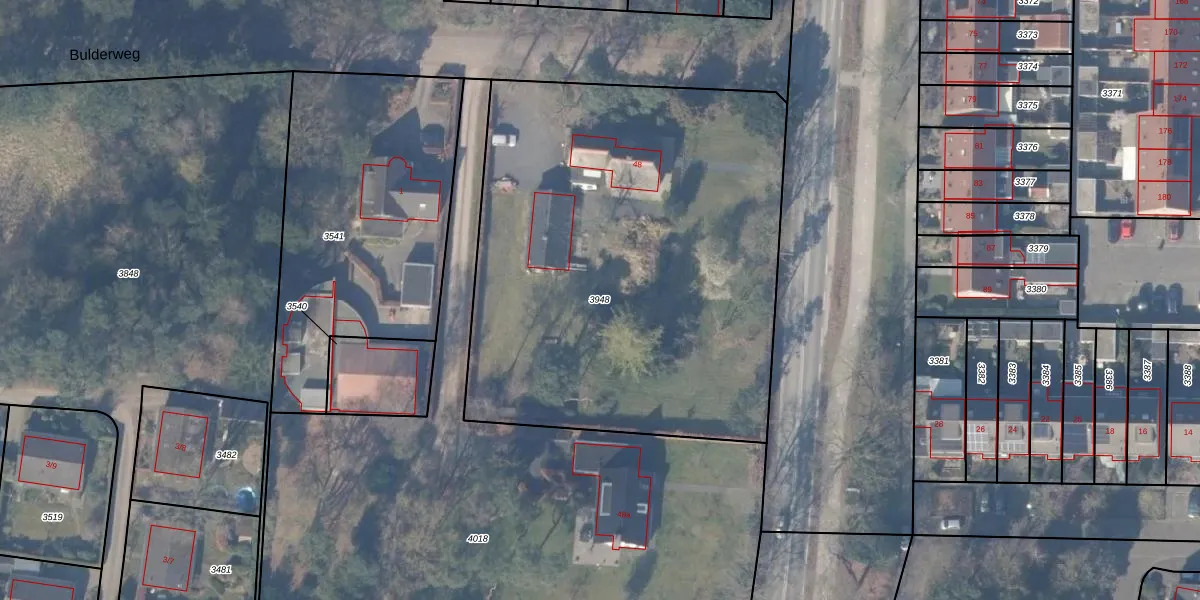
Perceel: EML00-H-3948
2.890 m2 - 215 m
Eigenaar opvragen
EML00-H-3948 (Ermelo)
- 3853 PR
pwPCJir6tPPi qxYxPSu75Upgrade naar KadastraleKaart Pro
Bekijk op Street View
Download DWG/DXF/Excel
AnXh LlmBg8EpYFqG0Upgrade naar KadastraleKaart Pro
MNEbLd3293 jTWoso7 Upgrade naar KadastraleKaart Pro
FXyK yTiyvyHLCSAwUpgrade naar KadastraleKaart Pro
s5 m6nO7gKg6wmil70MA6Upgrade naar KadastraleKaart Pro
y7OuBCSSdxHUpgrade naar KadastraleKaart Pro
jw4ODkcK45V0i X4XkXzuUpgrade naar KadastraleKaart Pro
gjVEYgEAzLBWUpgrade naar KadastraleKaart Pro
3 GhibLSE5deHSTVWKUpgrade naar KadastraleKaart Pro
EQNp8MseuQn5Upgrade naar KadastraleKaart Pro
2UO7OzsiJ9SMQroeJOnv LUpgrade naar KadastraleKaart Pro
11/11/2016

Percelen
Gebruik de zoekbalk of klik op een perceel om informatie over het perceel te bekijken.