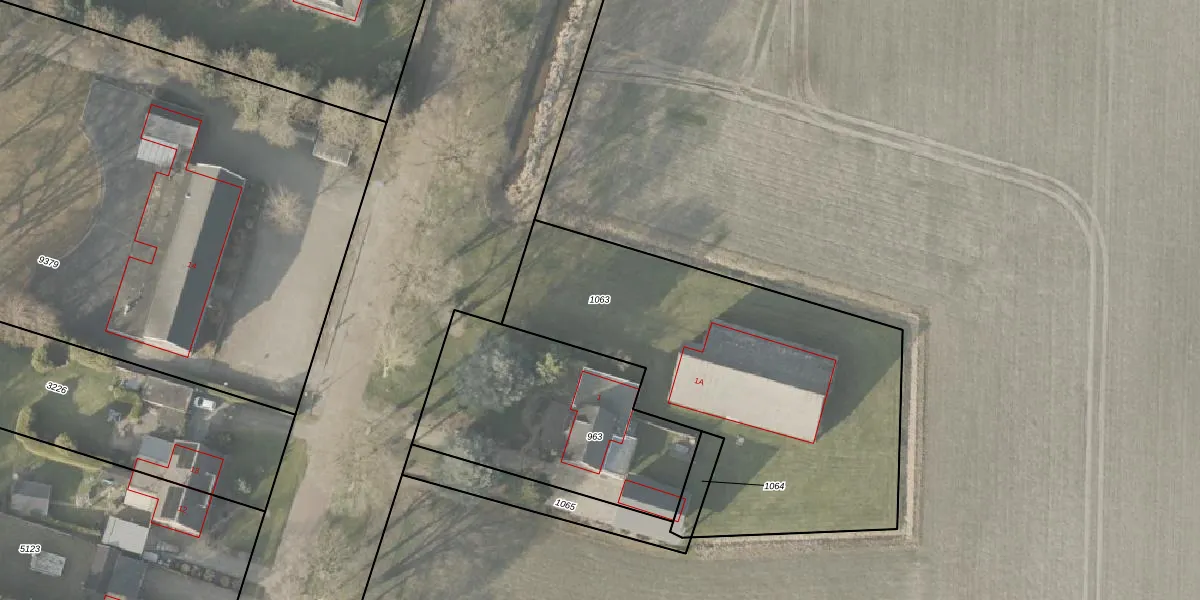
Perceel: EMN00-AB-1063
KadastraleKaart.com kan meer dan je denktOntdek meer ›
Filter op bestemming 50+ datasets Eigendomsdata in één klik Percelen CRM
1.932 m2 - 216 m
Eigenaar opvragen
EMN00-AB-1063 (Emmen)
- 7881 PH
PbxnLwxiKWvGjQqBRCbA5KmlIUpgrade naar KadastraleKaart Pro
Bekijk op Street View
Download DWG/DXF/Excel
I9OqVLuOmratWASgfREztLUpgrade naar KadastraleKaart Pro
hFsqERnHyQyUpgrade naar KadastraleKaart Pro
QEusk8Z5 XO7oGQyQWtJALUpgrade naar KadastraleKaart Pro
0qMEux8aXxFnUpgrade naar KadastraleKaart Pro
6J3yi0fIy N4Upgrade naar KadastraleKaart Pro
AlB eFR5hUpgrade naar KadastraleKaart Pro
kL5fhxxDBqWRLCUpgrade naar KadastraleKaart Pro
AH GcPmyxqXVV ButOO8Upgrade naar KadastraleKaart Pro
FERluks PUpgrade naar KadastraleKaart Pro
rVZmXlfkHyogXjogBNAgVFUpgrade naar KadastraleKaart Pro
27/05/2008

Percelen
Gebruik de zoekbalk of klik op een perceel om informatie over het perceel te bekijken.