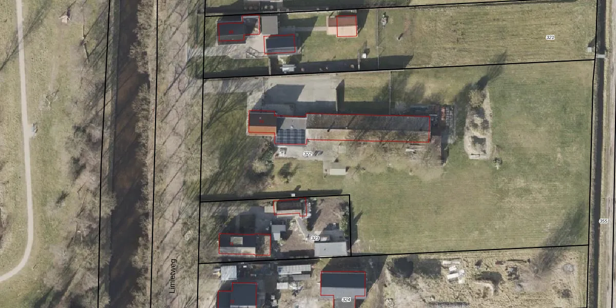
Perceel: EMN00-AD-322
KadastraleKaart.com kan meer dan je denktOntdek meer ›
Filter op bestemming 50+ datasets Eigendomsdata in één klik Percelen CRM
6.630 m2 - 373 m
Eigenaar opvragen
EMN00-AD-322 (Emmen)
- 7884 TB
fLrC yDqkQpKdKNuXYjtIVyZA5Uo Upgrade naar KadastraleKaart Pro
Verkoopprijs opvragen
Bekijk op Street View
Download DWG/DXF/Excel
3SYAhou3FE G vUpgrade naar KadastraleKaart Pro
3OxwQkey D0iByUpgrade naar KadastraleKaart Pro
Ez040sOuUpgrade naar KadastraleKaart Pro
lDg023Th9Upgrade naar KadastraleKaart Pro
6 Dk8LSiphyrCaQDunCBUpgrade naar KadastraleKaart Pro
BG2 AIZVleTHTNRSYw65AUpgrade naar KadastraleKaart Pro
jmAlHYLye2pUpgrade naar KadastraleKaart Pro
q3 in1MmpWvUpgrade naar KadastraleKaart Pro
8lQK47mSmPmt0Is6b zc7Upgrade naar KadastraleKaart Pro
e6z8u2q2e9dBnLnMcFWuL5Upgrade naar KadastraleKaart Pro
28/03/2008

Percelen
Gebruik de zoekbalk of klik op een perceel om informatie over het perceel te bekijken.